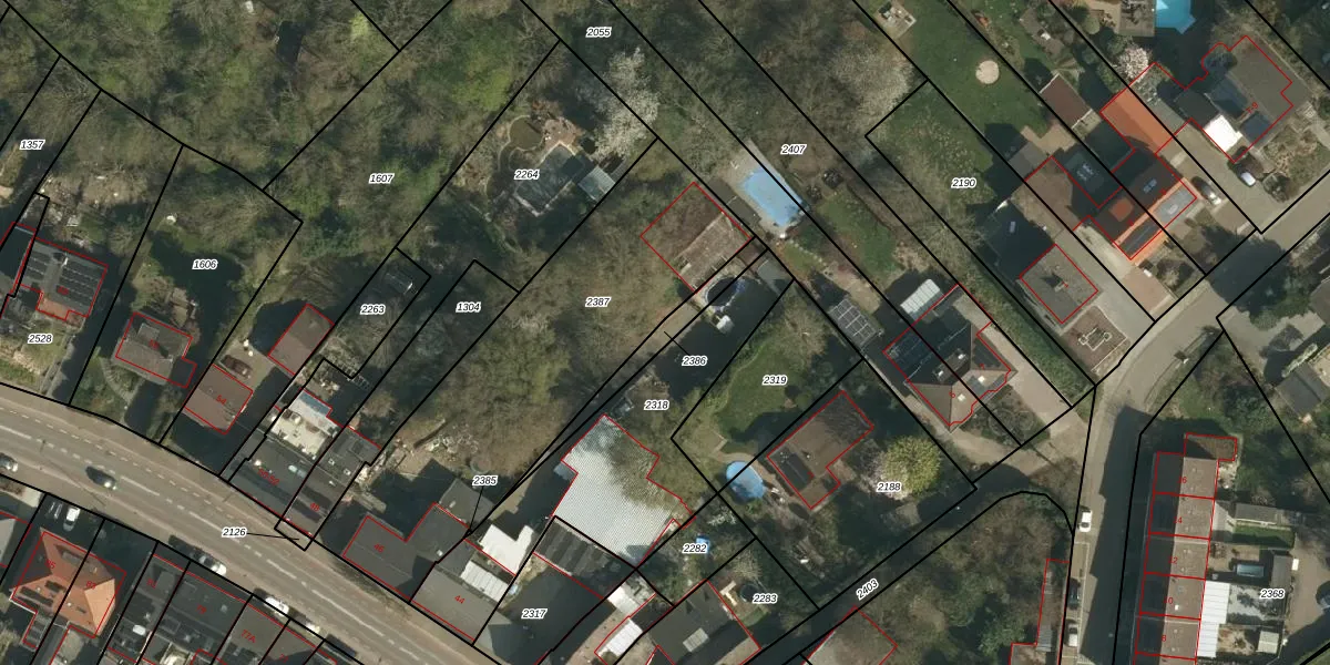
Perceel: ASR00-A-2386
KadastraleKaart.com kan meer dan je denktOntdek meer ›
Filter op bestemming 50+ datasets Eigendomsdata in één klik Percelen CRM
Geen adressen bij dit perceel
105 m2 - 116 m
Eigenaar opvragen
ASR00-A-2386 (Amstenrade)
- Geen postcode aanwezig
JyMDgazE10h Q8MjjjUpgrade naar KadastraleKaart Pro
Bekijk op Street View
Download DWG/DXF/Excel
YZyUc ho5WZ pzc5rsevfUpgrade naar KadastraleKaart Pro
KOlqzDyXyS8Upgrade naar KadastraleKaart Pro
cz4HgeDX7Upgrade naar KadastraleKaart Pro
KcGX 0ovgLs9MUpgrade naar KadastraleKaart Pro
Rnyf1bkEUpgrade naar KadastraleKaart Pro
O6WujU DlEGx5yUpgrade naar KadastraleKaart Pro
CLC0C8 h0 uU l U1gPYrxUpgrade naar KadastraleKaart Pro
XAGFKMcSpfvLjOF Upgrade naar KadastraleKaart Pro
I4CqzS7lyIM2eseGxiFHGpUpgrade naar KadastraleKaart Pro
IcWKgsUPkY7bH W AZUpgrade naar KadastraleKaart Pro
12/07/2007

Percelen
Gebruik de zoekbalk of klik op een perceel om informatie over het perceel te bekijken.