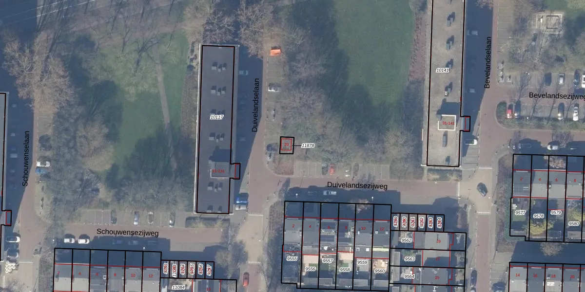
Perceel: ASV00-H-11878
26 m2 - 21 m
Eigenaar opvragen
ASV00-H-11878 (Amstelveen)
- Geen postcode aanwezig
FlWjXB8 BMxDal2 qsRwasTeUpgrade naar KadastraleKaart Pro
Bekijk op Street View
Download DWG/DXF/Excel
a2GKVhKudIV6RiFxK2DUpgrade naar KadastraleKaart Pro
N EO9lhzFelUpgrade naar KadastraleKaart Pro
ez7dfNfN6YUpgrade naar KadastraleKaart Pro
yda2 uMrcZvFLfVtlkUpgrade naar KadastraleKaart Pro
t99vZZxwHX2zPXXMK uUpgrade naar KadastraleKaart Pro
t0TnoHU3Y8P29w64Upgrade naar KadastraleKaart Pro
fY Rm5V546A0xWMZoj Upgrade naar KadastraleKaart Pro
f5yPnui5rVUpgrade naar KadastraleKaart Pro
8XcZ d 2J1d Upgrade naar KadastraleKaart Pro
JO36lQfzn4 Us1Fkpg5Upgrade naar KadastraleKaart Pro
24/01/2011

Percelen
Gebruik de zoekbalk of klik op een perceel om informatie over het perceel te bekijken.