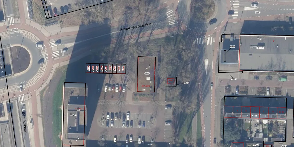
Perceel: ASV00-I-4519
287 m2 - 72 m
Eigenaar opvragen
ASV00-I-4519 (Amstelveen)
- 1183 JD
3vTLNY7xmLOb7l ioDzUpgrade naar KadastraleKaart Pro
Verkoopprijs opvragen
Bekijk op Street View
Download DWG/DXF/Excel
wHN4ikH 7 q3pFlB1he wUpgrade naar KadastraleKaart Pro
TpPhy UOa5uu7OJUpgrade naar KadastraleKaart Pro
5z8XqwB29 Ci lUcUpgrade naar KadastraleKaart Pro
CLEOIs1S6sas9Upgrade naar KadastraleKaart Pro
lUgGivb6UFsE8Upgrade naar KadastraleKaart Pro
rr FKc0Yb 5ws61ksjRhrUpgrade naar KadastraleKaart Pro
kk6KaOyjd1Upgrade naar KadastraleKaart Pro
0XUggpNvUpgrade naar KadastraleKaart Pro
v nx8rcRaqcUpgrade naar KadastraleKaart Pro
JLLa Tiz Upgrade naar KadastraleKaart Pro
15/10/2010

Percelen
Gebruik de zoekbalk of klik op een perceel om informatie over het perceel te bekijken.