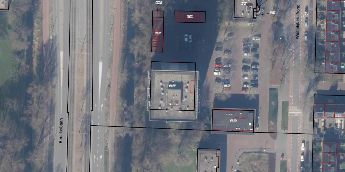
Perceel: ASV00-I-5067
KadastraleKaart.com kan meer dan je denktOntdek meer ›
Filter op bestemming 50+ datasets Eigendomsdata in één klik Percelen CRM
713 m2 - 107 m
Eigenaar opvragen
ASV00-I-5067 (Amstelveen)
- 1183 HS -1183 HT -1183 HV -1183 HW
1tERvTIPPK8 I puPm661j2JiUpgrade naar KadastraleKaart Pro
Verkoopprijs opvragen
Bekijk op Street View
Download DWG/DXF/Excel
r32wFjbZjajXcUUpgrade naar KadastraleKaart Pro
AG9AwmhBUkv8Upgrade naar KadastraleKaart Pro
Za9QV 87GUpgrade naar KadastraleKaart Pro
GIXE0Nog3v aV 56pKy2if5Upgrade naar KadastraleKaart Pro
ag lu1Gm2YAUpgrade naar KadastraleKaart Pro
6 UmJasp0 UQVFUpgrade naar KadastraleKaart Pro
xXHaxkTezu6Upgrade naar KadastraleKaart Pro
mfOcogYgzkW0aUpgrade naar KadastraleKaart Pro
HqCabC3aUpgrade naar KadastraleKaart Pro
oIVM1e OaYQus 2s1 lUpgrade naar KadastraleKaart Pro
15/10/2010

Percelen
Gebruik de zoekbalk of klik op een perceel om informatie over het perceel te bekijken.