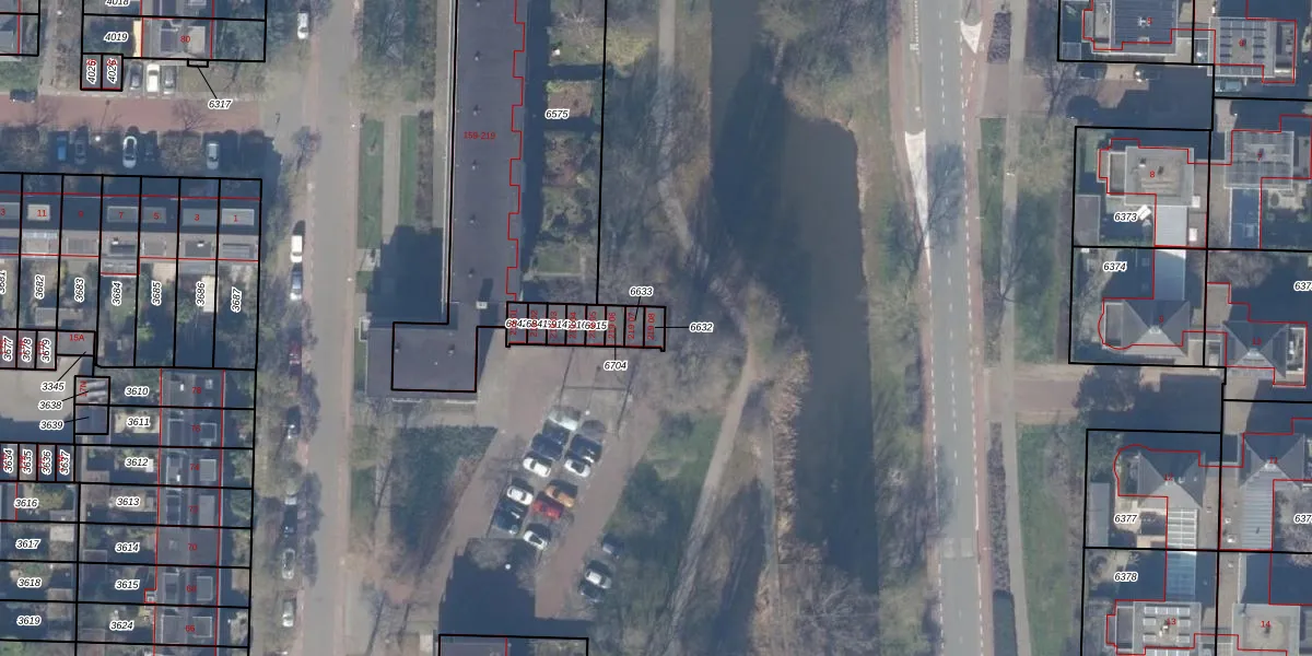
Perceel: ASV00-I-6632
20 m2 - 20 m
Eigenaar opvragen
ASV00-I-6632 (Amstelveen)
- 1183 ES
wdIcGVICnRYKb9MEeeWlfUUpgrade naar KadastraleKaart Pro
Bekijk op Street View
Download DWG/DXF/Excel
i kbeEILsv uJIZUpgrade naar KadastraleKaart Pro
4yP86W5V OBwHzWnPWHX8Upgrade naar KadastraleKaart Pro
7pj5SCPFWhmcUpgrade naar KadastraleKaart Pro
vD2axZPCax 20F 3iwUpgrade naar KadastraleKaart Pro
sGTJ92mGSIUpgrade naar KadastraleKaart Pro
klrM1yOTuBJPUpgrade naar KadastraleKaart Pro
Nh IYlreUpgrade naar KadastraleKaart Pro
h5u7rvMTb z5Upgrade naar KadastraleKaart Pro
gixqCuMx22gUpgrade naar KadastraleKaart Pro
FznscacChfMVUpgrade naar KadastraleKaart Pro
15/10/2010

Percelen
Gebruik de zoekbalk of klik op een perceel om informatie over het perceel te bekijken.