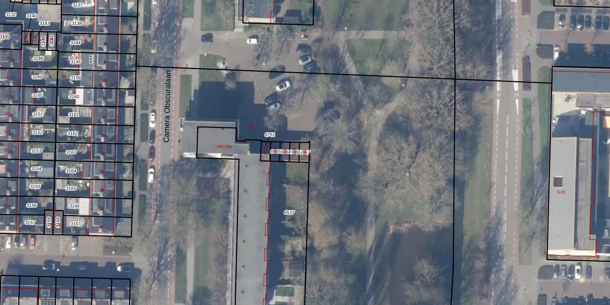
Perceel: ASV00-I-6967
22 m2 - 20 m
Eigenaar opvragen
ASV00-I-6967 (Amstelveen)
- 1183 KG
pQ4D25vp7dFTXUiJByLRnRp sdZUpgrade naar KadastraleKaart Pro
Bekijk op Street View
Download DWG/DXF/Excel
11fHElDTkp6k4lXLhC3 1uUpgrade naar KadastraleKaart Pro
hfMJWHVlm ssqmvDF9faYUpgrade naar KadastraleKaart Pro
ZA qlmPugpR lxKZd7KFop7Upgrade naar KadastraleKaart Pro
1dtJY MpX7uRIUpgrade naar KadastraleKaart Pro
c6Q284lhVFFUpgrade naar KadastraleKaart Pro
S5h1RR wRjj9CBRM8ljOeUpgrade naar KadastraleKaart Pro
1hMXUEAbUpgrade naar KadastraleKaart Pro
715W8Wfz 4ivOuSUpgrade naar KadastraleKaart Pro
7dRYJW rgMgiA9dgSSxBUpgrade naar KadastraleKaart Pro
1lSPOlSVjUpgrade naar KadastraleKaart Pro
03/05/2019

Percelen
Gebruik de zoekbalk of klik op een perceel om informatie over het perceel te bekijken.