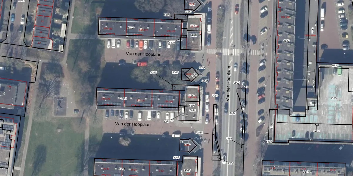
Perceel: ASV00-M-6025
Geen adressen bij dit perceel
23 m2 - 21 m
Eigenaar opvragen
ASV00-M-6025 (Amstelveen)
- Geen postcode aanwezig
drH4gcEISGv BGpsbkwQXhAl1iUpgrade naar KadastraleKaart Pro
Bekijk op Street View
Download DWG/DXF/Excel
wigti xmvon6BlMUpgrade naar KadastraleKaart Pro
Mqk1qV gPycsimoVBWaUfRUpgrade naar KadastraleKaart Pro
3tD2PYAZClg PIdzOcUpgrade naar KadastraleKaart Pro
4 xzZ0rgu3MIZsKqUpgrade naar KadastraleKaart Pro
Cv608VMeww wuYUpgrade naar KadastraleKaart Pro
TDGLEk6ytDRI52OA9KUpgrade naar KadastraleKaart Pro
V5zNXShm8LtA7Eiuz Upgrade naar KadastraleKaart Pro
QpAl3PsSN2 YR4a l HUpgrade naar KadastraleKaart Pro
v kw6CEuSUpgrade naar KadastraleKaart Pro
3yrUaItG7ZUpgrade naar KadastraleKaart Pro
26/10/2010

Percelen
Gebruik de zoekbalk of klik op een perceel om informatie over het perceel te bekijken.