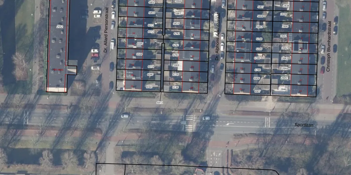
Perceel: ASV00-M-6136
152 m2 - 63 m
Eigenaar opvragen
ASV00-M-6136 (Amstelveen)
- 1185 PC
p26Y1c1sZJ Z881J4m aUpgrade naar KadastraleKaart Pro
Verkoopprijs opvragen
Bekijk op Street View
Download DWG/DXF/Excel
jx4qwMnI8uC2Kx74lNTB6jdUpgrade naar KadastraleKaart Pro
V0RHgW l DFanJCUpgrade naar KadastraleKaart Pro
AG0p h8q M1n35 KgBgQlctUpgrade naar KadastraleKaart Pro
C1lCJ6 2qUpgrade naar KadastraleKaart Pro
iu 8xf7AzfaI9Upgrade naar KadastraleKaart Pro
u xTmN3MJdGT7lmmfUpgrade naar KadastraleKaart Pro
hH8U oJeIHBIUpgrade naar KadastraleKaart Pro
PtU r3pjWhJOEtWBMUpgrade naar KadastraleKaart Pro
gEBzXDib kUpgrade naar KadastraleKaart Pro
YjUP q3VLmUpgrade naar KadastraleKaart Pro
21/01/2010

Percelen
Gebruik de zoekbalk of klik op een perceel om informatie over het perceel te bekijken.