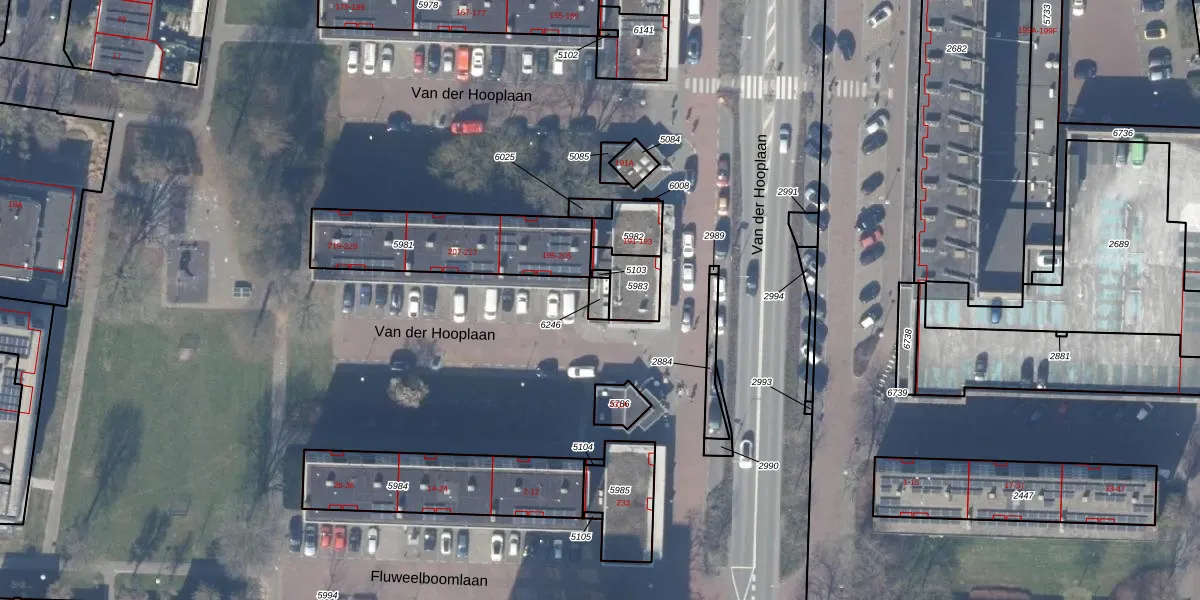
Perceel: ASV00-M-6246
Geen adressen bij dit perceel
24 m2 - 21 m
Eigenaar opvragen
ASV00-M-6246 (Amstelveen)
- Geen postcode aanwezig
F eXArmapfkA8GWJrYl3Mxhww0LUpgrade naar KadastraleKaart Pro
Bekijk op Street View
Download DWG/DXF/Excel
zls1YlVJnUpgrade naar KadastraleKaart Pro
979f7EGZkoUpgrade naar KadastraleKaart Pro
hK kaVcwRGhUXUpgrade naar KadastraleKaart Pro
nrx7K8Zewe9HnUpgrade naar KadastraleKaart Pro
lyvzdtOH 17Upgrade naar KadastraleKaart Pro
K3aSNO9t588aUpgrade naar KadastraleKaart Pro
Lc8FmjdFOuqJb3rUpgrade naar KadastraleKaart Pro
wT87n Yd5u0 iUpgrade naar KadastraleKaart Pro
VfqLt7XlBhUpgrade naar KadastraleKaart Pro
cVhBIXeiUpgrade naar KadastraleKaart Pro
26/10/2010

Percelen
Gebruik de zoekbalk of klik op een perceel om informatie over het perceel te bekijken.