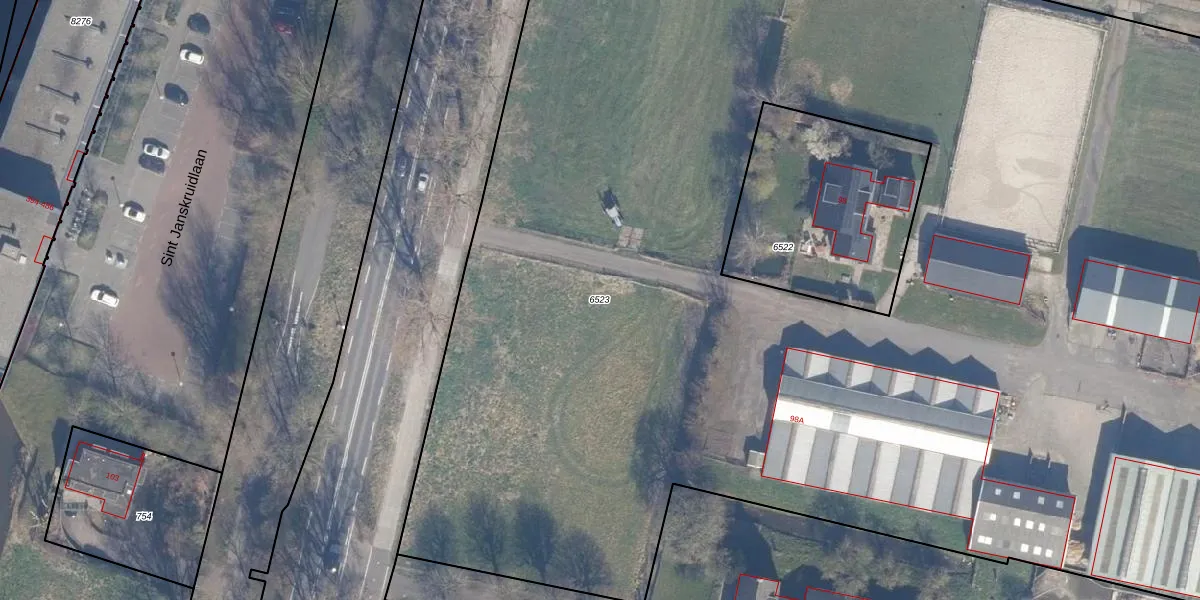
Perceel: ASV00-M-6523
12.620 m2 - 616 m
Eigenaar opvragen
ASV00-M-6523 (Amstelveen)
- 1188 XH
bx0WZWz89Rs Ai7ytY3QKZiFKkPUpgrade naar KadastraleKaart Pro
Bekijk op Street View
Download DWG/DXF/Excel
0uqM7GMULgUpgrade naar KadastraleKaart Pro
ORbW93xY1UTpzBM8xx DUpgrade naar KadastraleKaart Pro
VCJ3CG1tXvOh v 9vzUpgrade naar KadastraleKaart Pro
quHuIbvj0HFNRAUpgrade naar KadastraleKaart Pro
PG GfEayVazzyVO0kfTUpgrade naar KadastraleKaart Pro
9iqdI1J B6gIXFUpgrade naar KadastraleKaart Pro
IwWS1bAqUpgrade naar KadastraleKaart Pro
IRRrcMrmcUUpgrade naar KadastraleKaart Pro
o Cn1Q5S vUpgrade naar KadastraleKaart Pro
b7IRIiz7A05NpeKuW E4Upgrade naar KadastraleKaart Pro
08/10/2013

Percelen
Gebruik de zoekbalk of klik op een perceel om informatie over het perceel te bekijken.