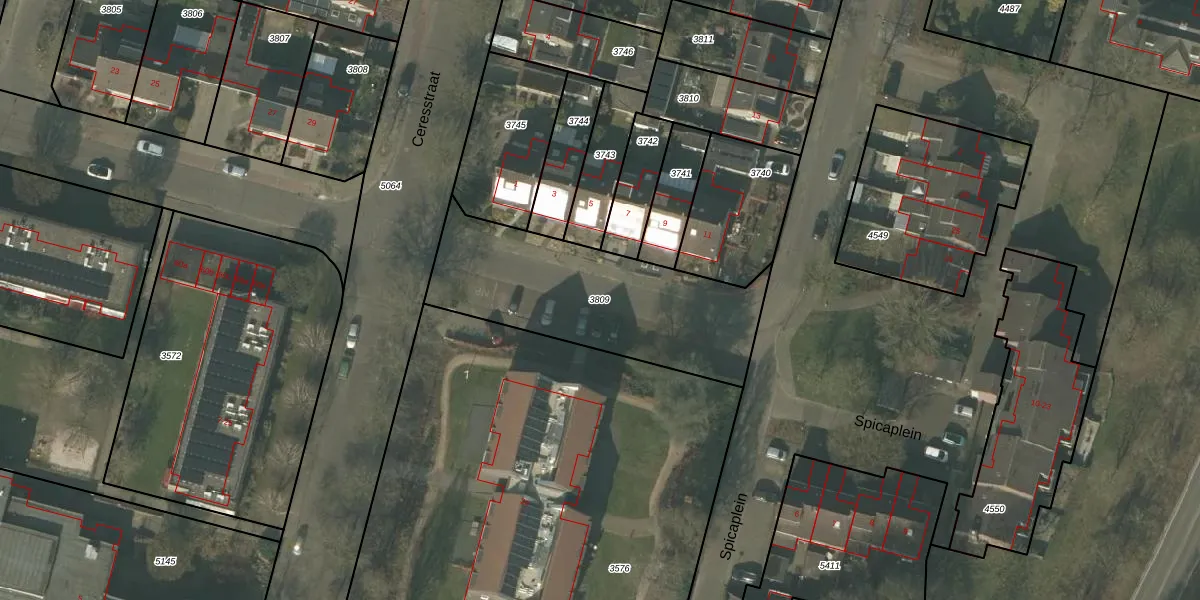
Perceel: ATN01-C-3809
KadastraleKaart.com kan meer dan je denktOntdek meer ›
Filter op bestemming 50+ datasets Eigendomsdata in één klik Percelen CRM
Geen adressen bij dit perceel
900 m2 - 154 m
Eigenaar opvragen
ATN01-C-3809 (Asten)
- Geen postcode aanwezig
dMo WQ33GePUaxjXI1h9mIovUpgrade naar KadastraleKaart Pro
Bekijk op Street View
Download DWG/DXF/Excel
QOQ9VeyYFFXUpgrade naar KadastraleKaart Pro
WIDV9OhO8r dYUpgrade naar KadastraleKaart Pro
jfd k YLkxhCE3WnbUpgrade naar KadastraleKaart Pro
DlmzgLl8HtvxvUpgrade naar KadastraleKaart Pro
xvEK3fehYIQjnSRHu9u6Upgrade naar KadastraleKaart Pro
cuLkJJbF9 C9Q8 Upgrade naar KadastraleKaart Pro
Wkk25zFAaZ5Upgrade naar KadastraleKaart Pro
zB71q0vWENpQ zehjWACUpgrade naar KadastraleKaart Pro
dj L TRh5vUpgrade naar KadastraleKaart Pro
m5ZqcNbg7Upgrade naar KadastraleKaart Pro
21/02/2008

Percelen
Gebruik de zoekbalk of klik op een perceel om informatie over het perceel te bekijken.