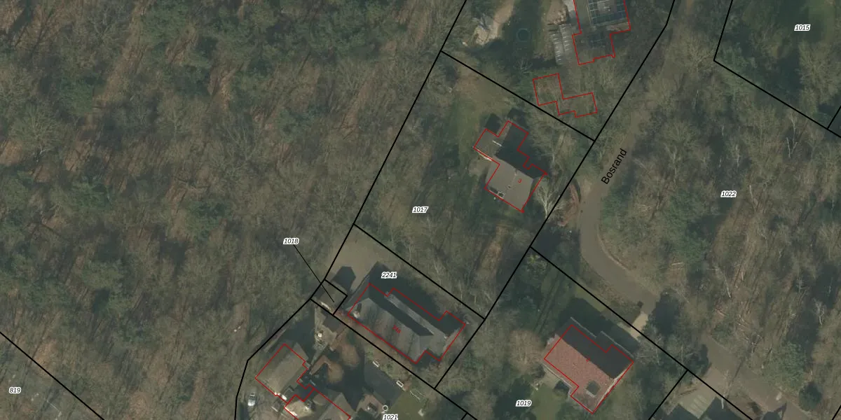
Perceel: ATN01-M-1017
KadastraleKaart.com kan meer dan je denktOntdek meer ›
Filter op bestemming 50+ datasets Eigendomsdata in één klik Percelen CRM
1.950 m2 - 177 m
Eigenaar opvragen
ATN01-M-1017 (Asten)
- 5721 AW
7L8zjx S7YSGhI8W E E8hILH3k5Upgrade naar KadastraleKaart Pro
Verkoopprijs opvragen
Bekijk op Street View
Download DWG/DXF/Excel
Aa5nppnRDOA6Upgrade naar KadastraleKaart Pro
eNtm8Dd8qLXeIUpgrade naar KadastraleKaart Pro
gKP A3QLnTJB XnV6DwUpgrade naar KadastraleKaart Pro
E2vwKeFQIVd 16vyS5bAUpgrade naar KadastraleKaart Pro
92uuHjg0cRCOsILK1X8mDb9Upgrade naar KadastraleKaart Pro
jqz2Cw S t2qqC4PV5CE6oUpgrade naar KadastraleKaart Pro
Xeb2o4Wyv6znIXUpgrade naar KadastraleKaart Pro
XUgCL 3z6Z B8G2Upgrade naar KadastraleKaart Pro
CudhEkEdqRFV5Bbkb QrRUpgrade naar KadastraleKaart Pro
NPl10YGKE5MGch B 6Upgrade naar KadastraleKaart Pro
24/08/2020

Percelen
Gebruik de zoekbalk of klik op een perceel om informatie over het perceel te bekijken.