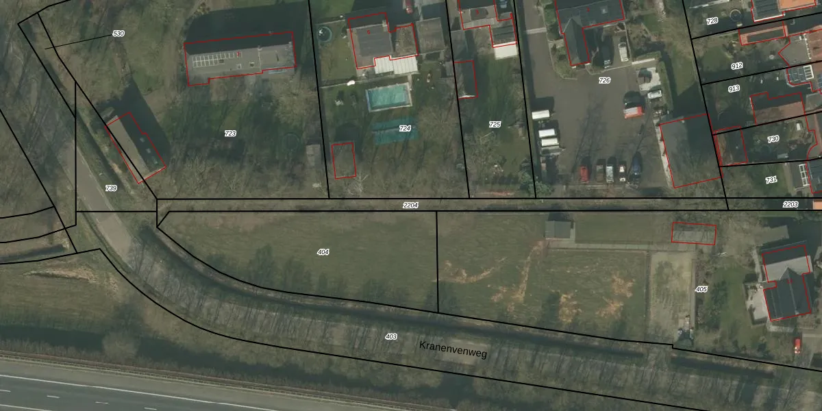
Perceel: ATN01-M-2204
Geen adressen bij dit perceel
481 m2 - 289 m
Eigenaar opvragen
ATN01-M-2204 (Asten)
- Geen postcode aanwezig
leXF2xezOREnpf pqqawUpgrade naar KadastraleKaart Pro
Bekijk op Street View
Download DWG/DXF/Excel
cvGjcm p03145XUpgrade naar KadastraleKaart Pro
vxazPHfcKUpgrade naar KadastraleKaart Pro
QKgfFhJ5Upgrade naar KadastraleKaart Pro
shLyFJqOkjeApHpUo xUpgrade naar KadastraleKaart Pro
nOIGzL3X2KO3U m0m0gKUpgrade naar KadastraleKaart Pro
SSLcNZrP5Upgrade naar KadastraleKaart Pro
m14HxzJZZvOyfhrD5qlGctUpgrade naar KadastraleKaart Pro
EyM2oy1KyutUpgrade naar KadastraleKaart Pro
VTaEKLn3nMZTsUpgrade naar KadastraleKaart Pro
Wxx25cdN6G MnMKTCd153Upgrade naar KadastraleKaart Pro
02/12/2019

Percelen
Gebruik de zoekbalk of klik op een perceel om informatie over het perceel te bekijken.