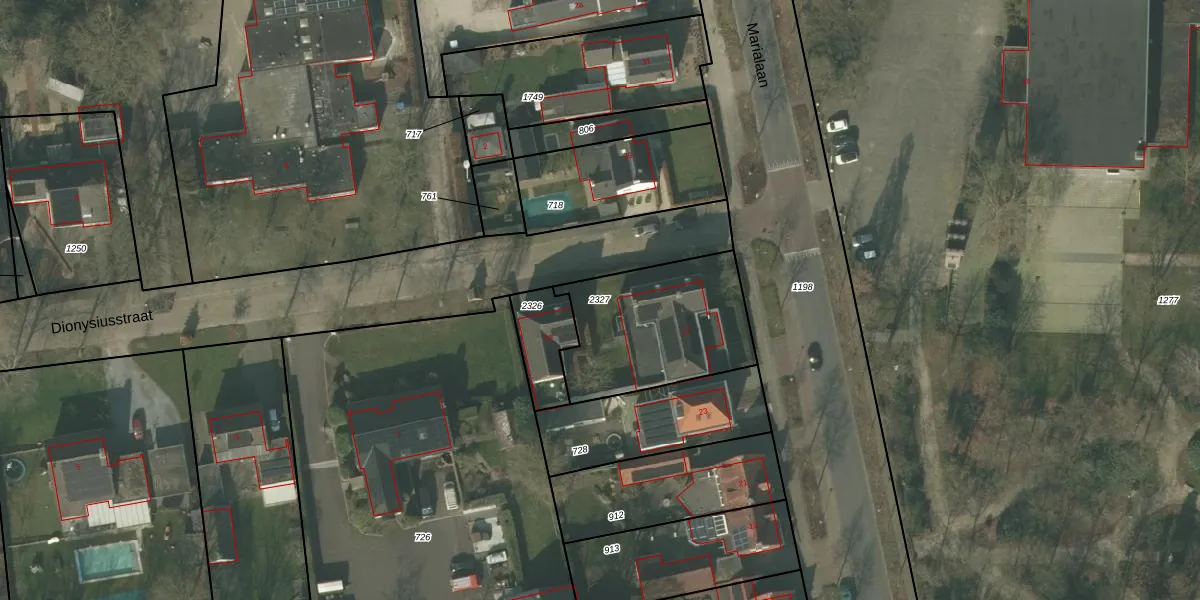
Perceel: ATN01-M-2327
617 m2 - 108 m
Eigenaar opvragen
ATN01-M-2327 (Asten)
- 5724 AB
JAal rxqb5 Wp85Q Upgrade naar KadastraleKaart Pro
Bekijk op Street View
Download DWG/DXF/Excel
LG8dVJO3XmhZzUpgrade naar KadastraleKaart Pro
s3MqD8nVpEz HtUpgrade naar KadastraleKaart Pro
gK2ylrajihMFUpgrade naar KadastraleKaart Pro
Rzun1ow9P TZEGc 7WUYUpgrade naar KadastraleKaart Pro
TDV7suTMVjZ51YUpgrade naar KadastraleKaart Pro
m8W7Cf9BSUpgrade naar KadastraleKaart Pro
CBDubt dEUpgrade naar KadastraleKaart Pro
b9 uW6MlyKGe4GM06NUpgrade naar KadastraleKaart Pro
OUvvC0Mcrn1RdPh vUpgrade naar KadastraleKaart Pro
GecncuNunJUpgrade naar KadastraleKaart Pro
28/01/2022

Percelen
Gebruik de zoekbalk of klik op een perceel om informatie over het perceel te bekijken.