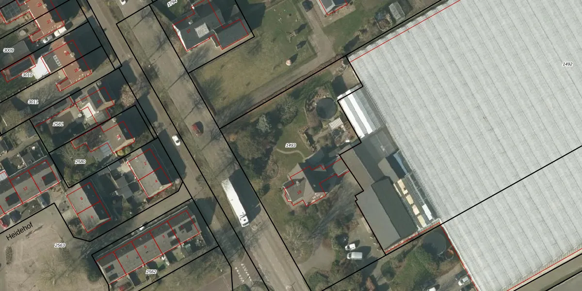
Perceel: ATN01-P-1493
KadastraleKaart.com kan meer dan je denktOntdek meer ›
Filter op bestemming 50+ datasets Eigendomsdata in één klik Percelen CRM
2.385 m2 - 234 m
Eigenaar opvragen
ATN01-P-1493 (Asten)
- 5725 BA
Tm aGf6TQ2DiHSf BrsL UhO9Upgrade naar KadastraleKaart Pro
Bekijk op Street View
Download DWG/DXF/Excel
H33cgW DDwwAUpgrade naar KadastraleKaart Pro
HORoPqznJ Gz1 y xJTUpgrade naar KadastraleKaart Pro
ulHOP04 GSl xtLpS4Upgrade naar KadastraleKaart Pro
tZ2F1fm Q tAAzWLomUpgrade naar KadastraleKaart Pro
CQGwx4yvbajKnssyw9xfpSUpgrade naar KadastraleKaart Pro
itl66e lr4wEPXnrUpgrade naar KadastraleKaart Pro
o4C osotfgIPkjN JuplIuMUpgrade naar KadastraleKaart Pro
8IEXF9hYlx05 Bsehg13Upgrade naar KadastraleKaart Pro
4l9KRpzituBXCzJHzLUpgrade naar KadastraleKaart Pro
9qeMpYCqw2ArPBnq5HUpgrade naar KadastraleKaart Pro
08/10/2010

Percelen
Gebruik de zoekbalk of klik op een perceel om informatie over het perceel te bekijken.