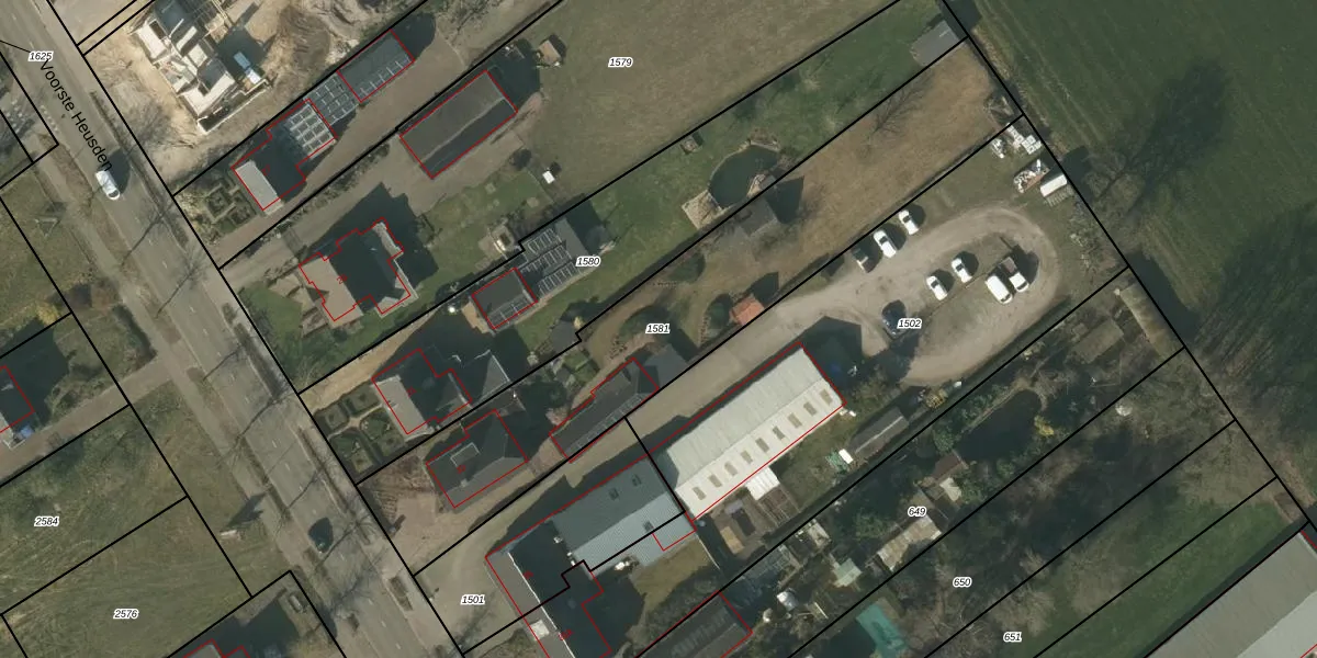
Perceel: ATN01-P-1581
KadastraleKaart.com kan meer dan je denktOntdek meer ›
Filter op bestemming 50+ datasets Eigendomsdata in één klik Percelen CRM
1.705 m2 - 264 m
Eigenaar opvragen
ATN01-P-1581 (Asten)
- 5725 AB
KlO6Mz U1 L8qJFAD1SrobNlF8kUUUpgrade naar KadastraleKaart Pro
Verkoopprijs opvragen
Bekijk op Street View
Download DWG/DXF/Excel
2J b EzDnUpgrade naar KadastraleKaart Pro
tsnRLpcJ4Upgrade naar KadastraleKaart Pro
4ir4 Jjkp fUpgrade naar KadastraleKaart Pro
aSlcf7wB4ejw XzkCDfsJUpgrade naar KadastraleKaart Pro
RxZx9OoR kXFN4 e zyCQiUpgrade naar KadastraleKaart Pro
tge7voTLe5dg usyffwbZHUpgrade naar KadastraleKaart Pro
3Cu0Q5mFSicwTJP78rFUpgrade naar KadastraleKaart Pro
Cn3x5gxfTUpgrade naar KadastraleKaart Pro
sS 1VnkM5tEGUpgrade naar KadastraleKaart Pro
G71OoARt1SHblmt7va4DMUpgrade naar KadastraleKaart Pro
04/03/2008

Percelen
Gebruik de zoekbalk of klik op een perceel om informatie over het perceel te bekijken.