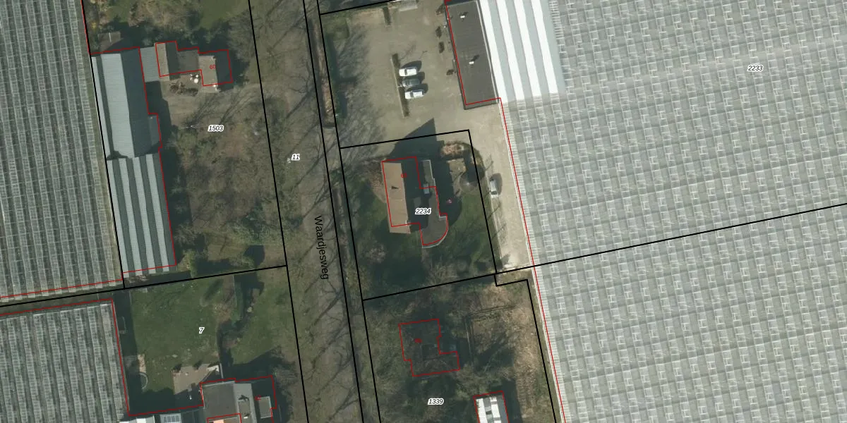
Perceel: ATN01-P-2234
KadastraleKaart.com kan meer dan je denktOntdek meer ›
Filter op bestemming 50+ datasets Eigendomsdata in één klik Percelen CRM
1.120 m2 - 134 m
Eigenaar opvragen
ATN01-P-2234 (Asten)
- 5725 TB
SZTyd Y6nDdmBmedqpKrA8BnjUpgrade naar KadastraleKaart Pro
Bekijk op Street View
Download DWG/DXF/Excel
rFc81caAWUpgrade naar KadastraleKaart Pro
CKYC1FtXxSJrgYZinrBf Upgrade naar KadastraleKaart Pro
6gPxDl9NaHJMvxtrcfSjPUUpgrade naar KadastraleKaart Pro
9FW xBeoXAUpgrade naar KadastraleKaart Pro
JYINdx4J0USXLlH OIGivUpgrade naar KadastraleKaart Pro
FGXeGLutlsLeGj FOCUpgrade naar KadastraleKaart Pro
sy2K8UtnBGtUpgrade naar KadastraleKaart Pro
wLTepQiS9AsTqSzho9041Upgrade naar KadastraleKaart Pro
ghvHjOZgJj LXUpgrade naar KadastraleKaart Pro
1vGQcyi7J3mEwR Sewo8Upgrade naar KadastraleKaart Pro
03/02/2020

Percelen
Gebruik de zoekbalk of klik op een perceel om informatie over het perceel te bekijken.