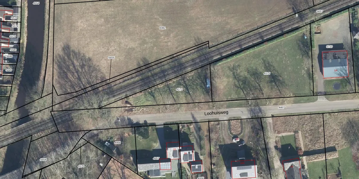
Perceel: ATN02-D-4172
KadastraleKaart.com kan meer dan je denktOntdek meer ›
Filter op bestemming 50+ datasets Eigendomsdata in één klik Percelen CRM
Geen adressen bij dit perceel
745 m2 - 152 m
Eigenaar opvragen
ATN02-D-4172 (Aalten)
- Geen postcode aanwezig
Y 9CaI r WVnNcz OySLUpgrade naar KadastraleKaart Pro
Bekijk op Street View
Download DWG/DXF/Excel
gXwfsB0oLmUpgrade naar KadastraleKaart Pro
1vw0X1M glK87 Upgrade naar KadastraleKaart Pro
qcmrl7DRcFjNqn2UV5bgUpgrade naar KadastraleKaart Pro
9PJuOSjI2Upgrade naar KadastraleKaart Pro
MqC9kvbSd7ruz EGZ8Upgrade naar KadastraleKaart Pro
Dt jdeG Upgrade naar KadastraleKaart Pro
QdPP KnEtdr7kgUpgrade naar KadastraleKaart Pro
ykwwpxJG W7rqe9WLfp5VYUpgrade naar KadastraleKaart Pro
zdISNU ZlhUpgrade naar KadastraleKaart Pro
KknmMSQu03fUpgrade naar KadastraleKaart Pro
12/03/2003

Percelen
Gebruik de zoekbalk of klik op een perceel om informatie over het perceel te bekijken.