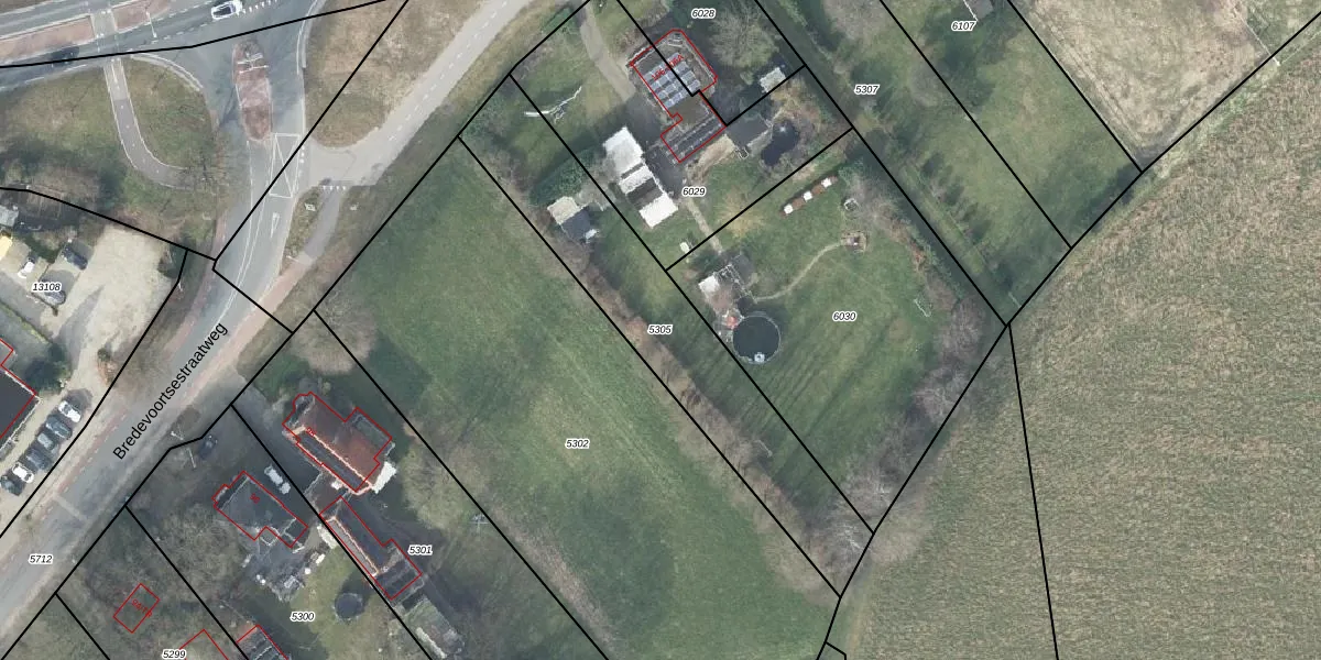
Perceel: ATN02-D-5305
KadastraleKaart.com kan meer dan je denktOntdek meer ›
Filter op bestemming 50+ datasets Eigendomsdata in één klik Percelen CRM
Geen adressen bij dit perceel
1.097 m2 - 203 m
Eigenaar opvragen
ATN02-D-5305 (Aalten)
- Geen postcode aanwezig
qJPg Dd52wZFkcUn OvuiuR cxUpgrade naar KadastraleKaart Pro
Bekijk op Street View
Download DWG/DXF/Excel
ki0uPDwnZ92Vra4hUUpgrade naar KadastraleKaart Pro
wVFM ZeFgLYPeYe Upgrade naar KadastraleKaart Pro
e6FMIaABJy SKIFN 6Upgrade naar KadastraleKaart Pro
GLbAAm010 dunPiuTU cVwUpgrade naar KadastraleKaart Pro
MEDvDkH5q92wCN Upgrade naar KadastraleKaart Pro
gYH1xxW 6lUpgrade naar KadastraleKaart Pro
t70Tv2BOE pq0YsIYWUpgrade naar KadastraleKaart Pro
Ja5dhqUKIfB 5KMbXMTPWYUpgrade naar KadastraleKaart Pro
e3QySCAzFRTuzS0Upgrade naar KadastraleKaart Pro
GuLvZZUHt IUpgrade naar KadastraleKaart Pro
17/08/2023

Percelen
Gebruik de zoekbalk of klik op een perceel om informatie over het perceel te bekijken.