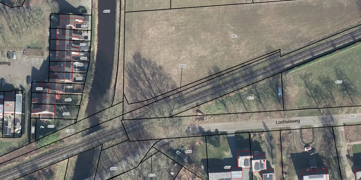
Perceel: ATN02-D-5655
KadastraleKaart.com kan meer dan je denktOntdek meer ›
Filter op bestemming 50+ datasets Eigendomsdata in één klik Percelen CRM
Geen adressen bij dit perceel
175 m2 - 203 m
Eigenaar opvragen
ATN02-D-5655 (Aalten)
- Geen postcode aanwezig
zHJMx9DEScmpfT3 4Z8lb hYAgl HoUpgrade naar KadastraleKaart Pro
Bekijk op Street View
Download DWG/DXF/Excel
01CXplo wUpgrade naar KadastraleKaart Pro
Fox2ba3st vmfXJxieJHuBUpgrade naar KadastraleKaart Pro
ysO6UeyN3L7EVBHQm81a5Upgrade naar KadastraleKaart Pro
XmLxJFAvnmpgsvkqsp SXUpgrade naar KadastraleKaart Pro
WlADp4R2Upgrade naar KadastraleKaart Pro
o3OyHBEW 1eiCuJO cUpgrade naar KadastraleKaart Pro
OjpbQYC6XbjUvWD9T aAsEUpgrade naar KadastraleKaart Pro
aisbvu0Wa23C5jUpgrade naar KadastraleKaart Pro
nan962IsT09Rss3nFQGJJUpgrade naar KadastraleKaart Pro
IbGKitiWCQEUpgrade naar KadastraleKaart Pro
17/02/2003

Percelen
Gebruik de zoekbalk of klik op een perceel om informatie over het perceel te bekijken.