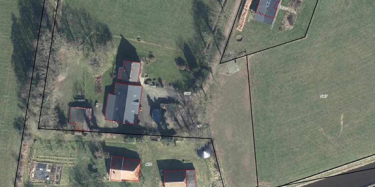
Perceel: ATN02-G-5366
KadastraleKaart.com kan meer dan je denktOntdek meer ›
Filter op bestemming 50+ datasets Eigendomsdata in één klik Percelen CRM
16.285 m2 - 602 m
Eigenaar opvragen
ATN02-G-5366 (Aalten)
- 7122 LN
tUSlU8HJFBi5zDEsMNg7fQ nv7Upgrade naar KadastraleKaart Pro
Bekijk op Street View
Download DWG/DXF/Excel
CCfP14OngFo p47Aykl3v2Upgrade naar KadastraleKaart Pro
Pzm8r StONUpgrade naar KadastraleKaart Pro
VA4bzaztC8yuzaFnbUpgrade naar KadastraleKaart Pro
KfCKRt CmiK03UA Upgrade naar KadastraleKaart Pro
eMWZnT94L Upgrade naar KadastraleKaart Pro
tCI09xcWWUpgrade naar KadastraleKaart Pro
oAHV vG mfi63 FI0vptKUpgrade naar KadastraleKaart Pro
7QPrj Yu95CUpgrade naar KadastraleKaart Pro
05H Jo6PHsb h y9sdk wmfUpgrade naar KadastraleKaart Pro
xw80BuTi Wr0A4NADjUpgrade naar KadastraleKaart Pro
20/01/2025

Percelen
Gebruik de zoekbalk of klik op een perceel om informatie over het perceel te bekijken.