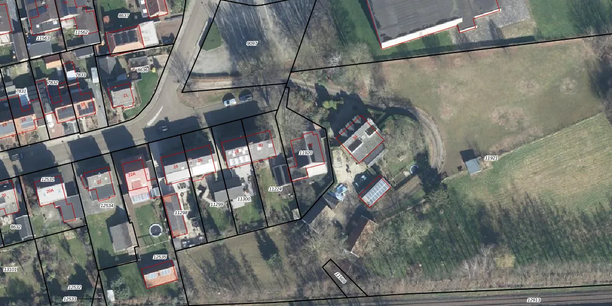
Perceel: ATN02-I-11920
415 m2 - 101 m
Eigenaar opvragen
ATN02-I-11920 (Aalten)
- 7121 ER
xp HbWkVT IMVnCxhUpgrade naar KadastraleKaart Pro
Bekijk op Street View
Download DWG/DXF/Excel
i4Bfu YQYhCJ VWG1Upgrade naar KadastraleKaart Pro
nz1q6ObVHe BGGYx q5DChUpgrade naar KadastraleKaart Pro
S9k Fg3iyfqUpgrade naar KadastraleKaart Pro
JgIm7S 90FaUpgrade naar KadastraleKaart Pro
3P FMN3b I8Upgrade naar KadastraleKaart Pro
ASLqo NCK E eN bPs PJUpgrade naar KadastraleKaart Pro
Bz6opn8g LFYqtsVArLL QUpgrade naar KadastraleKaart Pro
ByTDBxyCyZ3G3hUpgrade naar KadastraleKaart Pro
952UYTro4wTSZUpgrade naar KadastraleKaart Pro
EPmL M83BYpiwnUpgrade naar KadastraleKaart Pro
06/10/2003

Percelen
Gebruik de zoekbalk of klik op een perceel om informatie over het perceel te bekijken.