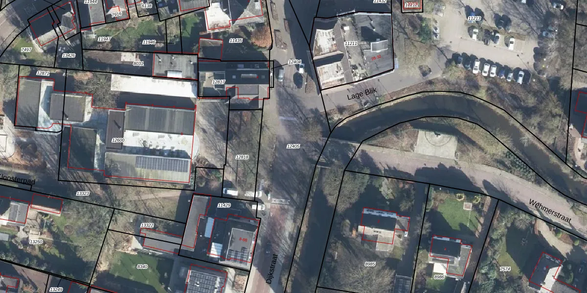
Perceel: ATN02-I-12405
Geen adressen bij dit perceel
3.479 m2 - 603 m
Eigenaar opvragen
ATN02-I-12405 (Aalten)
- Geen postcode aanwezig
kewGJZ tX eT2gc4ueMY26JUJi Upgrade naar KadastraleKaart Pro
Bekijk op Street View
Download DWG/DXF/Excel
DtSKQSxxF0tnWOPUpgrade naar KadastraleKaart Pro
xypHtWgeprt8 mncUpgrade naar KadastraleKaart Pro
zZPJ2j ryWPnbFDoUpgrade naar KadastraleKaart Pro
qn8c07ZedMIAUVYLbRVUpgrade naar KadastraleKaart Pro
sKCRWwTwUpgrade naar KadastraleKaart Pro
QX8v4eZQikTPQeCUpgrade naar KadastraleKaart Pro
UV ntbuMrUpgrade naar KadastraleKaart Pro
SI zMSlfUpgrade naar KadastraleKaart Pro
DSCRpBw6 Y2dZmfftiML Upgrade naar KadastraleKaart Pro
7Z5 Gxx bvCXFUpgrade naar KadastraleKaart Pro
13/08/2025

Percelen
Gebruik de zoekbalk of klik op een perceel om informatie over het perceel te bekijken.