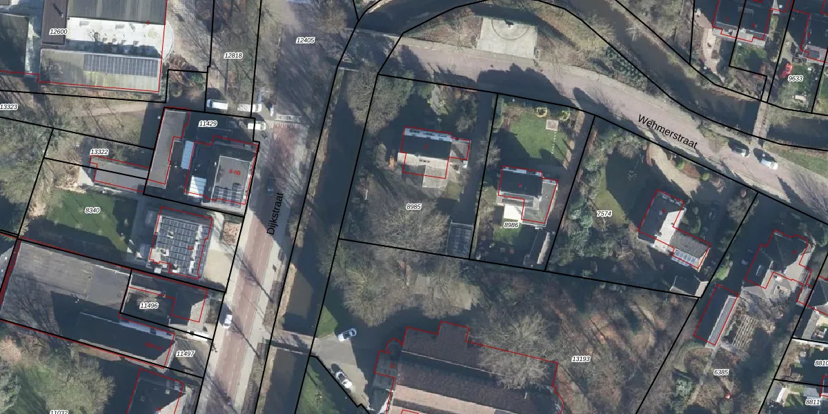
Perceel: ATN02-I-8985
KadastraleKaart.com kan meer dan je denktOntdek meer ›
Filter op bestemming 50+ datasets Eigendomsdata in één klik Percelen CRM
1.210 m2 - 143 m
Eigenaar opvragen
ATN02-I-8985 (Aalten)
- 7121 DP
PhzBxM YZ83JpGEc8Hb6y58mSxj EUpgrade naar KadastraleKaart Pro
Verkoopprijs opvragen
Bekijk op Street View
Download DWG/DXF/Excel
sG 97AL5aqTfWwdF8Upgrade naar KadastraleKaart Pro
aFqmZy9yjemdUpgrade naar KadastraleKaart Pro
KR f7D4vUpgrade naar KadastraleKaart Pro
Mkd5X3rAwm2wgxL0Upgrade naar KadastraleKaart Pro
xFIJUsfOyj7lI7V P2WUpgrade naar KadastraleKaart Pro
DNrJcteCUpgrade naar KadastraleKaart Pro
lNyEHzVZ iu VMSlOjNCt8Upgrade naar KadastraleKaart Pro
5A7 4Jr0WHMUpgrade naar KadastraleKaart Pro
C9Lw1PuWRfUpgrade naar KadastraleKaart Pro
0 loDmAYEdXUpgrade naar KadastraleKaart Pro
11/03/2003

Percelen
Gebruik de zoekbalk of klik op een perceel om informatie over het perceel te bekijken.