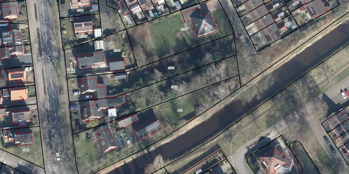
Perceel: ATN02-K-1604
KadastraleKaart.com kan meer dan je denktOntdek meer ›
Filter op bestemming 50+ datasets Eigendomsdata in één klik Percelen CRM
1.314 m2 - 232 m
Eigenaar opvragen
ATN02-K-1604 (Aalten)
- 7121 GB
qUqocWWf OFxUQqNwlhUpgrade naar KadastraleKaart Pro
Bekijk op Street View
Download DWG/DXF/Excel
IrthG26s6vU lBshIRUpgrade naar KadastraleKaart Pro
W7P QAA96aejoaepYLwhUpgrade naar KadastraleKaart Pro
du Txuo7d0 3On7VgUpgrade naar KadastraleKaart Pro
eqobmfV94lUpgrade naar KadastraleKaart Pro
wBq6gloe8GrbVZ2 tPIXUpgrade naar KadastraleKaart Pro
qbX7t5LpUnxtFnUpgrade naar KadastraleKaart Pro
HTXxWU05vi 3WK4Upgrade naar KadastraleKaart Pro
mICPNgi Upgrade naar KadastraleKaart Pro
wmEcegt NXM 8Upgrade naar KadastraleKaart Pro
Xka3 61VAUpgrade naar KadastraleKaart Pro
06/08/2002

Percelen
Gebruik de zoekbalk of klik op een perceel om informatie over het perceel te bekijken.