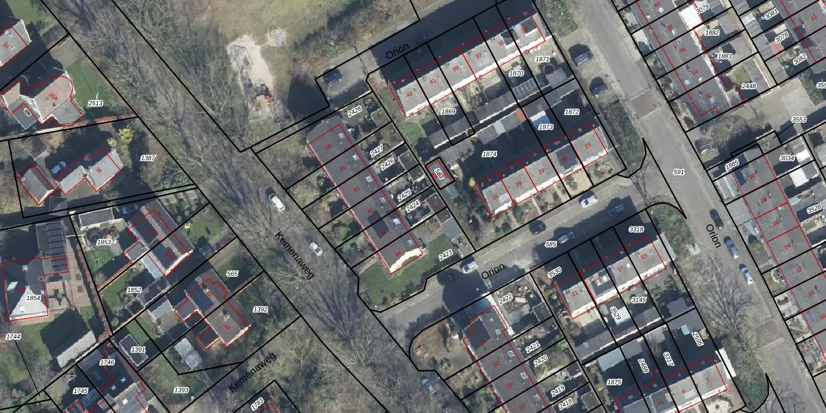
Perceel: ATN02-K-2424
175 m2 - 69 m
Eigenaar opvragen
ATN02-K-2424 (Aalten)
- 7122 XH
Gagg0uwyv8pvvmv enUpgrade naar KadastraleKaart Pro
Verkoopprijs opvragen
Bekijk op Street View
Download DWG/DXF/Excel
Ezbkb6c wbfYK Upgrade naar KadastraleKaart Pro
vu80nR 4HyFSnnZUpgrade naar KadastraleKaart Pro
3UCir 0L2 Upgrade naar KadastraleKaart Pro
OseLcj9df7TnGX m rRmbUpgrade naar KadastraleKaart Pro
w7 oCM BxIlgrTUS 84vP Upgrade naar KadastraleKaart Pro
kEGK4MHB4rGGz5 H JG9cUpgrade naar KadastraleKaart Pro
p t D jeU7vymPv KM5abfUpgrade naar KadastraleKaart Pro
58wEizoOyr0IauyDjTKUpgrade naar KadastraleKaart Pro
d sd9LSI8rMqUpgrade naar KadastraleKaart Pro
ou4IQGw0AIecUyztGmoyhUpgrade naar KadastraleKaart Pro
01/10/2003

Percelen
Gebruik de zoekbalk of klik op een perceel om informatie over het perceel te bekijken.