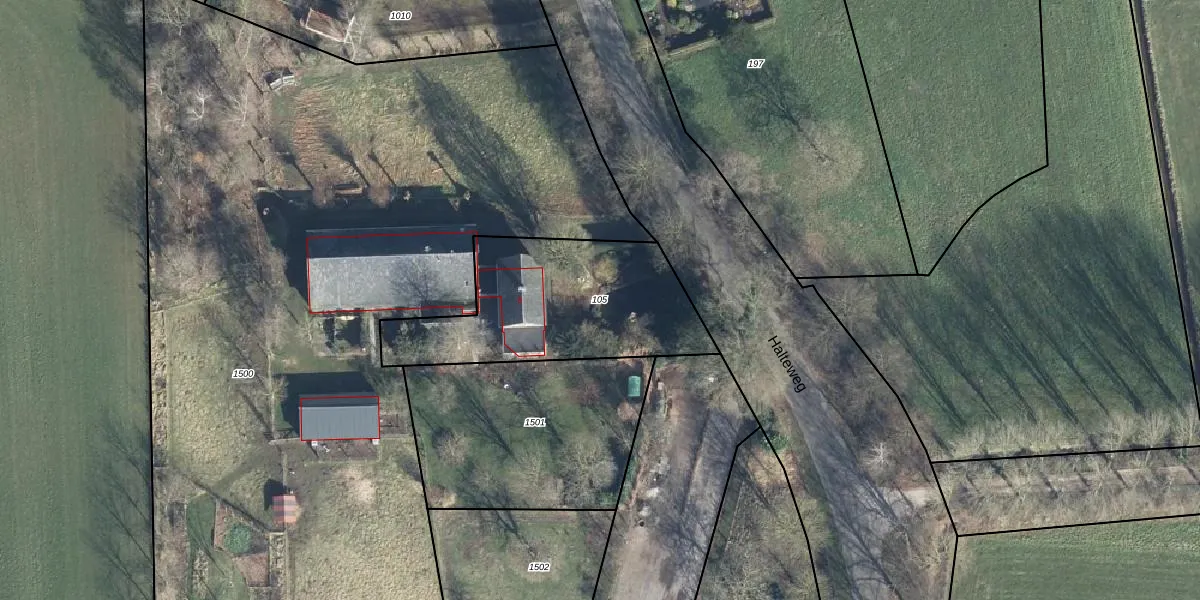
Perceel: ATN02-L-105
KadastraleKaart.com kan meer dan je denktOntdek meer ›
Filter op bestemming 50+ datasets Eigendomsdata in één klik Percelen CRM
830 m2 - 146 m
Eigenaar opvragen
ATN02-L-105 (Aalten)
- 7122 MB
1JRlbcV98KbuhueMFHjf WFWPDxSRUpgrade naar KadastraleKaart Pro
Bekijk op Street View
Download DWG/DXF/Excel
yEM4sSlwERWcdbN KBUpgrade naar KadastraleKaart Pro
MsB0q1ebTvtxI8Upgrade naar KadastraleKaart Pro
HI684j wRUpgrade naar KadastraleKaart Pro
7iXUFiNo3 lt 1lLwR6Upgrade naar KadastraleKaart Pro
mGW5 bJqbLUpgrade naar KadastraleKaart Pro
H5GbKIVG7ctuDOJNldQIUpgrade naar KadastraleKaart Pro
yh6BJRkJN72aZUpgrade naar KadastraleKaart Pro
YqNTc seUHXTF810Ji1WUpgrade naar KadastraleKaart Pro
w01m0T5bQSXxabBtoemSeLUpgrade naar KadastraleKaart Pro
th1pArPpdsCgifP22OKEPUpgrade naar KadastraleKaart Pro
13/01/2000

Percelen
Gebruik de zoekbalk of klik op een perceel om informatie over het perceel te bekijken.