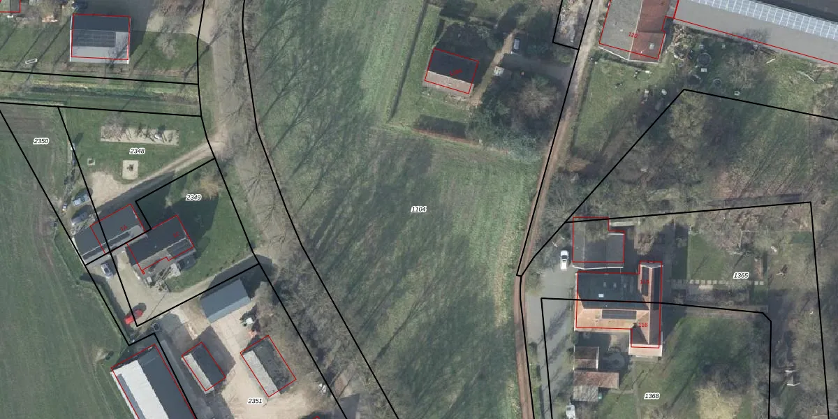
Perceel: ATN02-L-1104
KadastraleKaart.com kan meer dan je denktOntdek meer ›
Filter op bestemming 50+ datasets Eigendomsdata in één klik Percelen CRM
7.625 m2 - 403 m
Eigenaar opvragen
ATN02-L-1104 (Aalten)
- 7122 NT
be8pB M0aCZs3vPIelmyUpgrade naar KadastraleKaart Pro
Bekijk op Street View
Download DWG/DXF/Excel
e cBwNxYXYsuLkF6Upgrade naar KadastraleKaart Pro
8rvr8ua9dmy8nRlBMJ bUpgrade naar KadastraleKaart Pro
Ym9rxy6ACagB1JASZMGxUpgrade naar KadastraleKaart Pro
77EmyIbSF04MUp aony3m Upgrade naar KadastraleKaart Pro
pH8jF7JDdUpgrade naar KadastraleKaart Pro
Hi 62ow5JQ3y1y9LRNa qjpUpgrade naar KadastraleKaart Pro
GrJoSsnCy5k 8YFiopIRct1Upgrade naar KadastraleKaart Pro
MgZaDnKBpUpgrade naar KadastraleKaart Pro
Qy rS6eWR2OWAsH8tbco Upgrade naar KadastraleKaart Pro
T7Qd6m HofNQzU50fUpgrade naar KadastraleKaart Pro
18/09/2003

Percelen
Gebruik de zoekbalk of klik op een perceel om informatie over het perceel te bekijken.