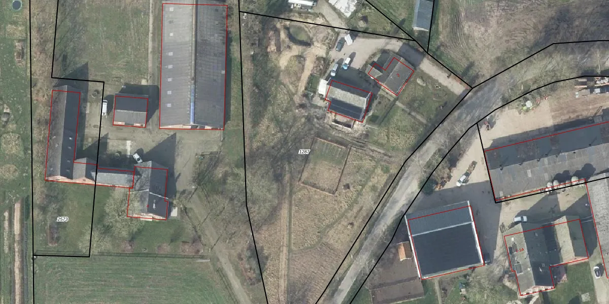
Perceel: ATN02-L-1287
KadastraleKaart.com kan meer dan je denktOntdek meer ›
Filter op bestemming 50+ datasets Eigendomsdata in één klik Percelen CRM
4.630 m2 - 303 m
Eigenaar opvragen
ATN02-L-1287 (Aalten)
- 7122 NW
kIyqHaYWF Hd1zQsA2NN3ZTp1k4J0ZUpgrade naar KadastraleKaart Pro
Verkoopprijs opvragen
Bekijk op Street View
Download DWG/DXF/Excel
aZUZceKwqs9Upgrade naar KadastraleKaart Pro
2QblAfBbXHKUpgrade naar KadastraleKaart Pro
cxu2GnLhmF9WxQwwkvhHuxUpgrade naar KadastraleKaart Pro
Pc8lnaAg1sUSwAdu gM1tUpgrade naar KadastraleKaart Pro
d8I4TZFtSxvvK9Upgrade naar KadastraleKaart Pro
x8Byp97wxrjLBsUpgrade naar KadastraleKaart Pro
x 3qwmtSD8UsKPrk DOUpgrade naar KadastraleKaart Pro
EWH lt 0vk 0mBFdCUpgrade naar KadastraleKaart Pro
52lrvKXfwLUTlnt6FfiWUpgrade naar KadastraleKaart Pro
NDG 5p0vNhzuIdDAb6DsUpgrade naar KadastraleKaart Pro
07/02/2007

Percelen
Gebruik de zoekbalk of klik op een perceel om informatie over het perceel te bekijken.