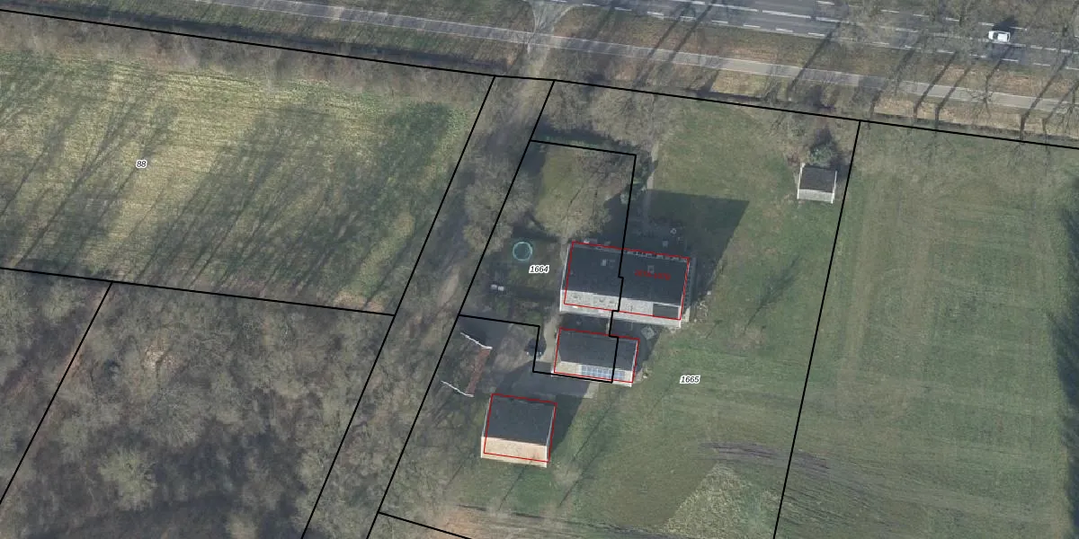
Perceel: ATN02-L-1664
KadastraleKaart.com kan meer dan je denktOntdek meer ›
Filter op bestemming 50+ datasets Eigendomsdata in één klik Percelen CRM
940 m2 - 139 m
Eigenaar opvragen
ATN02-L-1664 (Aalten)
- 7122 NS
wYgY MQ IAeNmEni7is7 10q 95ZUUpgrade naar KadastraleKaart Pro
Bekijk op Street View
Download DWG/DXF/Excel
QhZWrurUUpgrade naar KadastraleKaart Pro
peboC55iAgUpgrade naar KadastraleKaart Pro
tvDG krj1uiUpgrade naar KadastraleKaart Pro
skpi8aZ7SUpgrade naar KadastraleKaart Pro
yiBOlNNtdUpgrade naar KadastraleKaart Pro
qbjydJ wdFBB9HsUpgrade naar KadastraleKaart Pro
V aLaKcWkegfGegD1HUpgrade naar KadastraleKaart Pro
VNDe VOMbOOylH y fC 0HFUpgrade naar KadastraleKaart Pro
We5e85fFZBXUpgrade naar KadastraleKaart Pro
GklnAM dsBUNTUpgrade naar KadastraleKaart Pro
29/12/2004

Percelen
Gebruik de zoekbalk of klik op een perceel om informatie over het perceel te bekijken.