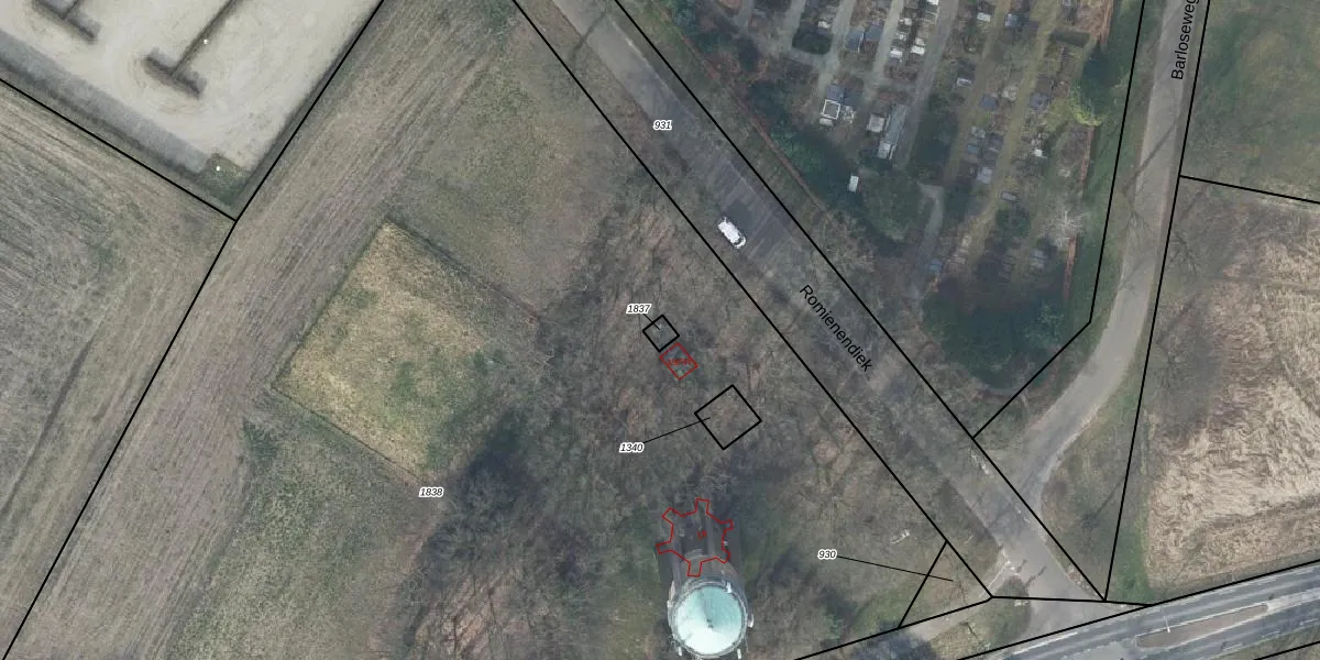
Perceel: ATN02-L-1837
KadastraleKaart.com kan meer dan je denktOntdek meer ›
Filter op bestemming 50+ datasets Eigendomsdata in één klik Percelen CRM
Geen adressen bij dit perceel
15 m2 - 16 m
Eigenaar opvragen
ATN02-L-1837 (Aalten)
- Geen postcode aanwezig
NhaC sB3QA7nqM Upgrade naar KadastraleKaart Pro
Bekijk op Street View
Download DWG/DXF/Excel
GJiEjBpdqZQEkUpgrade naar KadastraleKaart Pro
pmR2OaRx4rW tUpgrade naar KadastraleKaart Pro
G7sOsMpeooRP SOnb1F9fUpgrade naar KadastraleKaart Pro
SX8CENmcYXBcm uIUpgrade naar KadastraleKaart Pro
f myk5tmOiSboUpgrade naar KadastraleKaart Pro
XN d 7QPlfdUpgrade naar KadastraleKaart Pro
NP6ZlTCQd3m9cZHAsa5QUpgrade naar KadastraleKaart Pro
hXz Z f0Py0Upgrade naar KadastraleKaart Pro
KUdgUSLSxZsZUpgrade naar KadastraleKaart Pro
znKa9zXjU mn0iFP7FUpgrade naar KadastraleKaart Pro
10/12/2007

Percelen
Gebruik de zoekbalk of klik op een perceel om informatie over het perceel te bekijken.