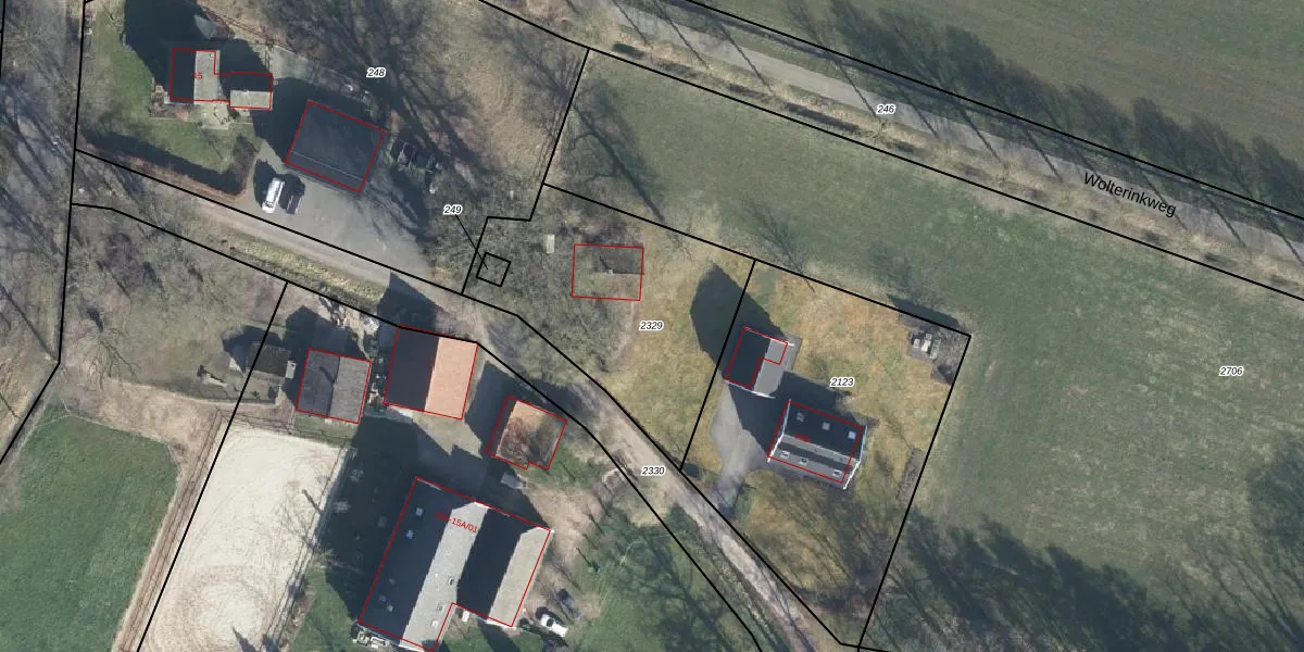
Perceel: ATN02-L-2329
KadastraleKaart.com kan meer dan je denktOntdek meer ›
Filter op bestemming 50+ datasets Eigendomsdata in één klik Percelen CRM
Geen adressen bij dit perceel
970 m2 - 154 m
Eigenaar opvragen
ATN02-L-2329 (Aalten)
- Geen postcode aanwezig
kJjT6jBpAZSwHiA akz9b 4 fnnUpgrade naar KadastraleKaart Pro
Bekijk op Street View
Download DWG/DXF/Excel
mo3h4q dakarWYgfxlsXUpgrade naar KadastraleKaart Pro
5axjMWvtXTKNUpgrade naar KadastraleKaart Pro
uuB1xCJDZnTAbM xUpgrade naar KadastraleKaart Pro
6bOSmR3uRUpgrade naar KadastraleKaart Pro
6CG9SLCb3PdUpgrade naar KadastraleKaart Pro
ozXiRQqtztq2 rD0cpv1 Upgrade naar KadastraleKaart Pro
yyIV0s 7lR4g I6mafK8bsUpgrade naar KadastraleKaart Pro
TgU8ugOxURqCQrHe9I iZ Upgrade naar KadastraleKaart Pro
loeP 3sWTkmMRE UUpgrade naar KadastraleKaart Pro
5 NcWZQO9cnU ArSQfRUpgrade naar KadastraleKaart Pro
23/10/2015

Percelen
Gebruik de zoekbalk of klik op een perceel om informatie over het perceel te bekijken.