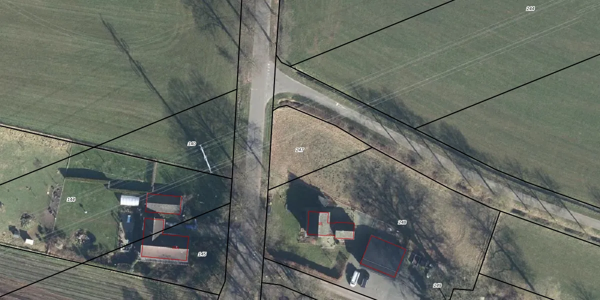
Perceel: ATN02-L-247
KadastraleKaart.com kan meer dan je denktOntdek meer ›
Filter op bestemming 50+ datasets Eigendomsdata in één klik Percelen CRM
Geen adressen bij dit perceel
510 m2 - 101 m
Eigenaar opvragen
ATN02-L-247 (Aalten)
- Geen postcode aanwezig
srZ47YZsRP7h8 n1K3DQwcUpgrade naar KadastraleKaart Pro
Bekijk op Street View
Download DWG/DXF/Excel
YmUh3bRq6FNtZ7 ROUpgrade naar KadastraleKaart Pro
6jC5PqcCp jYXUiUpgrade naar KadastraleKaart Pro
Lar rirNhB7TQBaiuPUpgrade naar KadastraleKaart Pro
ALzZkyF5LVtfUpgrade naar KadastraleKaart Pro
oJ0As bEW5tRucacLjKHUpgrade naar KadastraleKaart Pro
OvL7omQxe5UxOWUpgrade naar KadastraleKaart Pro
HLIFopm8P 9QwnctUpgrade naar KadastraleKaart Pro
L3vZ us8E77WrtHCdp5Upgrade naar KadastraleKaart Pro
DvLll0 E711 HVXaXl 8C7Upgrade naar KadastraleKaart Pro
qppA9DPq GBCbA WdkGH 6wUpgrade naar KadastraleKaart Pro
30/09/2003

Percelen
Gebruik de zoekbalk of klik op een perceel om informatie over het perceel te bekijken.