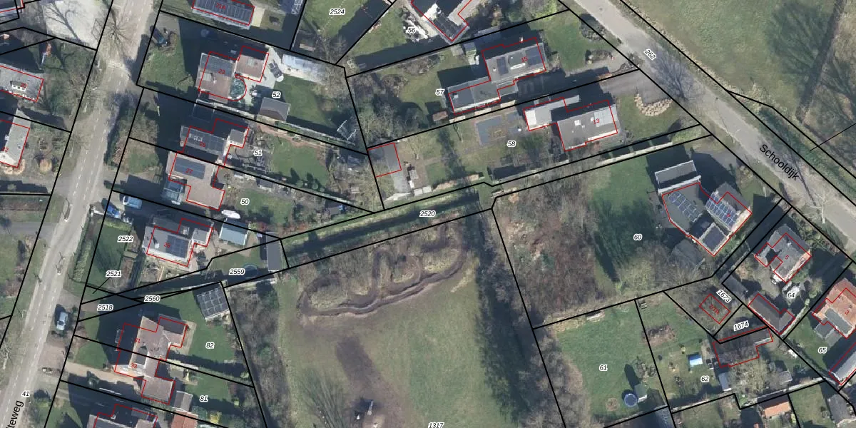
Perceel: ATN02-L-2520
KadastraleKaart.com kan meer dan je denktOntdek meer ›
Filter op bestemming 50+ datasets Eigendomsdata in één klik Percelen CRM
Geen adressen bij dit perceel
507 m2 - 218 m
Eigenaar opvragen
ATN02-L-2520 (Aalten)
- Geen postcode aanwezig
ovqLEuxbH1jz IJ6 8nUpgrade naar KadastraleKaart Pro
Bekijk op Street View
Download DWG/DXF/Excel
dpec01ztqaloUpgrade naar KadastraleKaart Pro
N68YUO mqrPUpgrade naar KadastraleKaart Pro
NBw8jylfNUrFcL0 Upgrade naar KadastraleKaart Pro
eSxRFRAAep0qDlU 9goAUpgrade naar KadastraleKaart Pro
25fYQyLP3 hrlWKdFUeUpgrade naar KadastraleKaart Pro
sAN7 6ChxN1cFfXUpgrade naar KadastraleKaart Pro
s3d bX BaJUpgrade naar KadastraleKaart Pro
s oBC1DRrwIAntLUWdgjUpgrade naar KadastraleKaart Pro
N5QspwjW zZMPIyG QOUpgrade naar KadastraleKaart Pro
a U8lFnc3rpUgu Q xdyQ8Upgrade naar KadastraleKaart Pro
09/06/2020

Percelen
Gebruik de zoekbalk of klik op een perceel om informatie over het perceel te bekijken.