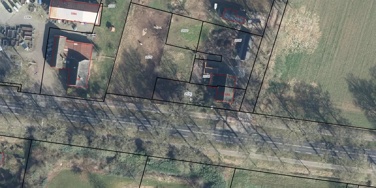
Perceel: ATN02-L-2576
KadastraleKaart.com kan meer dan je denktOntdek meer ›
Filter op bestemming 50+ datasets Eigendomsdata in één klik Percelen CRM
550 m2 - 120 m
Eigenaar opvragen
ATN02-L-2576 (Aalten)
- 7122 NM
PFnYCCKQ s3 8a3aOpxPyfFsUpgrade naar KadastraleKaart Pro
Verkoopprijs opvragen
Bekijk op Street View
Download DWG/DXF/Excel
0a McnhWzoG9Q kW8DRYUpgrade naar KadastraleKaart Pro
7f d QIT JUpgrade naar KadastraleKaart Pro
BTenGGWYTNsorikDGE9F471Upgrade naar KadastraleKaart Pro
b6rYVZ8L 4Upgrade naar KadastraleKaart Pro
Sjm9eteZUpgrade naar KadastraleKaart Pro
c 9THVusl eSsvEfhGpKMNGUpgrade naar KadastraleKaart Pro
nsV4EHymLUpgrade naar KadastraleKaart Pro
Rls5HwIfOUUpgrade naar KadastraleKaart Pro
FWyesspUB4GUpgrade naar KadastraleKaart Pro
xicuWr ZdFKO1tTiHIwUpgrade naar KadastraleKaart Pro
21/11/2022

Percelen
Gebruik de zoekbalk of klik op een perceel om informatie over het perceel te bekijken.