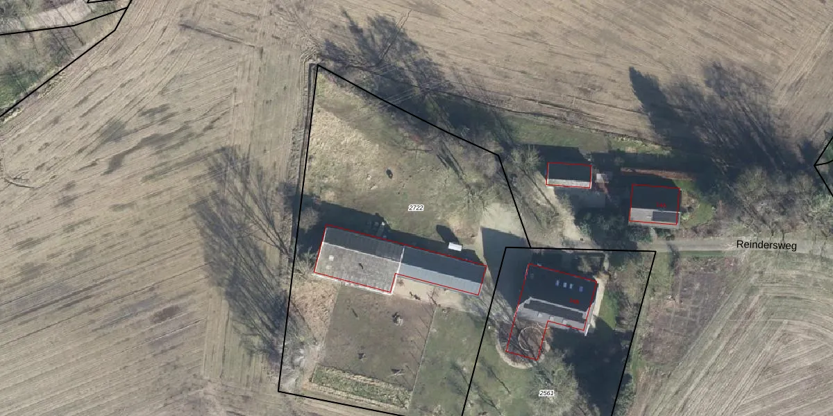
Perceel: ATN02-L-2722
KadastraleKaart.com kan meer dan je denktOntdek meer ›
Filter op bestemming 50+ datasets Eigendomsdata in één klik Percelen CRM
Geen adressen bij dit perceel
3.475 m2 - 246 m
Eigenaar opvragen
ATN02-L-2722 (Aalten)
- Geen postcode aanwezig
ESXJFcpp8vGmU k6Upgrade naar KadastraleKaart Pro
Bekijk op Street View
Download DWG/DXF/Excel
P xDlPLtQ34JF LUpgrade naar KadastraleKaart Pro
MxiMjTkfOK35FehUpgrade naar KadastraleKaart Pro
yBYqvXT81GBXrc sHmC qKUpgrade naar KadastraleKaart Pro
OEFSnvoU1sS Upgrade naar KadastraleKaart Pro
Y9 bOT6I CxTuVIUpgrade naar KadastraleKaart Pro
WVVFUKkGHhAYfIlmUpgrade naar KadastraleKaart Pro
oF3 ave5Upgrade naar KadastraleKaart Pro
0hwq o iVq1ks Hh0eYUpgrade naar KadastraleKaart Pro
rhbalo hfSoqKq3HCMuGbUpgrade naar KadastraleKaart Pro
oKLG r03b0gtmrkaH ZUpgrade naar KadastraleKaart Pro
13/06/2025

Percelen
Gebruik de zoekbalk of klik op een perceel om informatie over het perceel te bekijken.