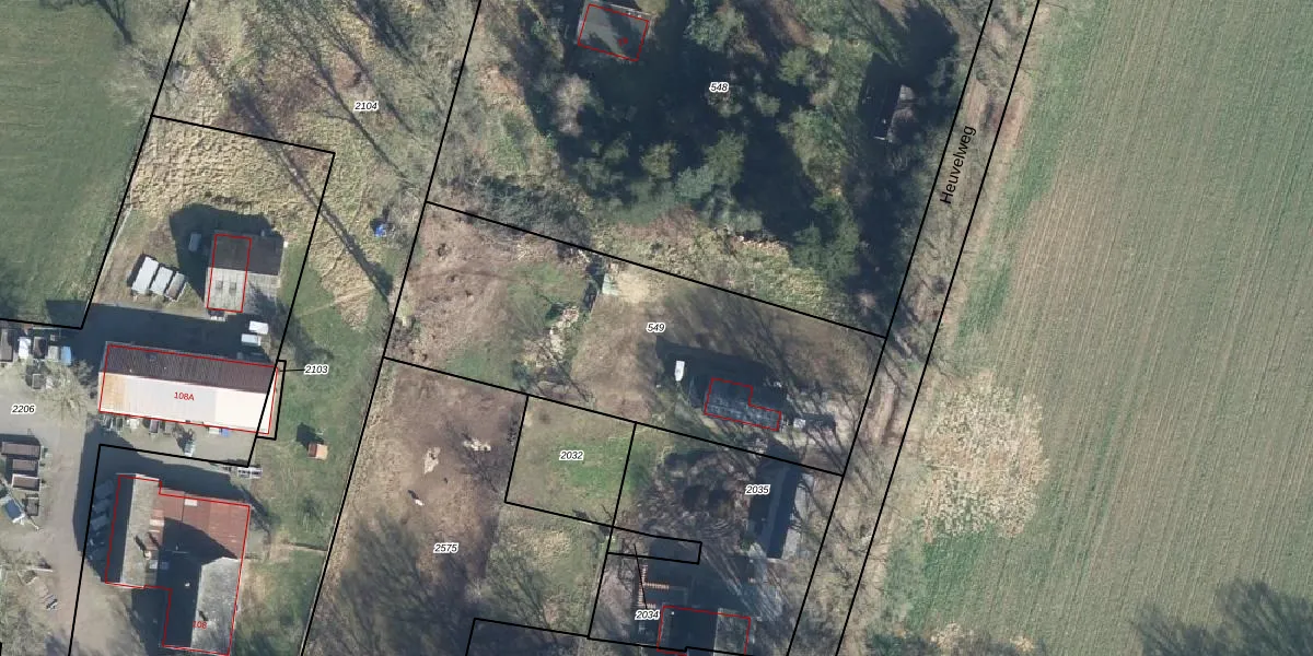
Perceel: ATN02-L-549
KadastraleKaart.com kan meer dan je denktOntdek meer ›
Filter op bestemming 50+ datasets Eigendomsdata in één klik Percelen CRM
Geen adressen bij dit perceel
1.700 m2 - 192 m
Eigenaar opvragen
ATN02-L-549 (Aalten)
- Geen postcode aanwezig
QcKiRimOduW K KGOTEYKR royTUpgrade naar KadastraleKaart Pro
Bekijk op Street View
Download DWG/DXF/Excel
wklAoZco655bBRDzg a r7Upgrade naar KadastraleKaart Pro
ZxhOOgJPq7xUsUpgrade naar KadastraleKaart Pro
UQB Q6y FGaUpgrade naar KadastraleKaart Pro
8qprSEI7a G p0P2Upgrade naar KadastraleKaart Pro
ltOr8ZSU8DvrvSPuGYSYnXUpgrade naar KadastraleKaart Pro
4K0DexA LaUWPUpgrade naar KadastraleKaart Pro
y gBkWoEkUbjUpgrade naar KadastraleKaart Pro
GdUv 265 40IZM4j3Upgrade naar KadastraleKaart Pro
5b6dQGplO2p41ZX JUpgrade naar KadastraleKaart Pro
l iDrlqF2SPB8JgiHcP RcdUpgrade naar KadastraleKaart Pro
17/02/2011

Percelen
Gebruik de zoekbalk of klik op een perceel om informatie over het perceel te bekijken.