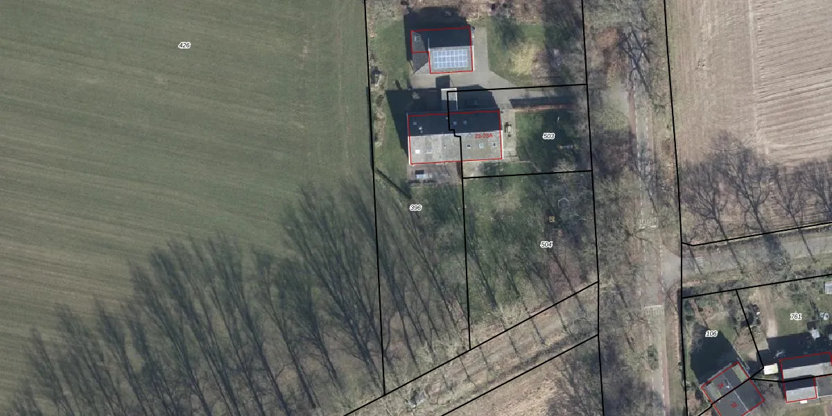
Perceel: ATN02-M-396
KadastraleKaart.com kan meer dan je denktOntdek meer ›
Filter op bestemming 50+ datasets Eigendomsdata in één klik Percelen CRM
2.715 m2 - 295 m
Eigenaar opvragen
ATN02-M-396 (Aalten)
- 7122 RP
NUwVYtit6pdTa2McGK98D5JQHw 8QIRUpgrade naar KadastraleKaart Pro
Bekijk op Street View
Download DWG/DXF/Excel
u7muTv7VZWUpgrade naar KadastraleKaart Pro
fGH5rtF Upgrade naar KadastraleKaart Pro
vTuFtq r9jdyaL Upgrade naar KadastraleKaart Pro
gK2IEu3 jAUpgrade naar KadastraleKaart Pro
oPOtEqEbRd7k6bZuecTUpgrade naar KadastraleKaart Pro
s FmSyYXmI7gf5SX75d nkUpgrade naar KadastraleKaart Pro
hbVLwm pD4deC EcNvUpgrade naar KadastraleKaart Pro
7ezL3U T v3mZUpgrade naar KadastraleKaart Pro
wRhK8t cMPKbJzfZ6mEfTJ Upgrade naar KadastraleKaart Pro
vkd5mz1COe05n2qKg0Upgrade naar KadastraleKaart Pro
23/07/2010

Percelen
Gebruik de zoekbalk of klik op een perceel om informatie over het perceel te bekijken.