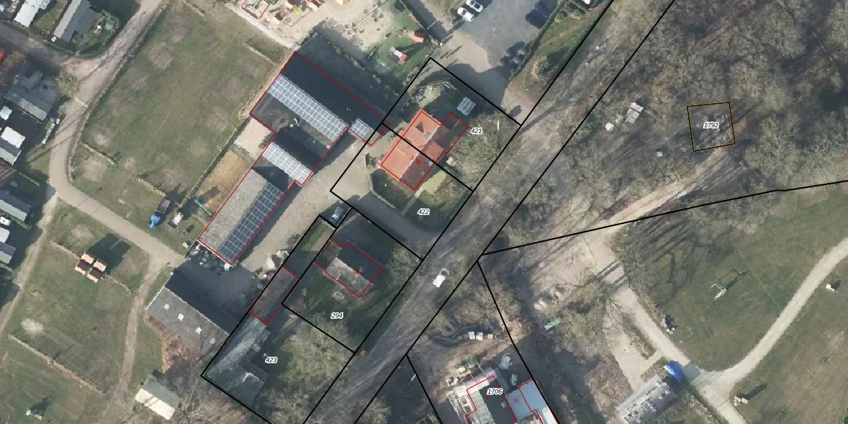
Perceel: ATN02-M-422
KadastraleKaart.com kan meer dan je denktOntdek meer ›
Filter op bestemming 50+ datasets Eigendomsdata in één klik Percelen CRM
545 m2 - 95 m
Eigenaar opvragen
ATN02-M-422 (Aalten)
- 7122 PC
v9WdzRLUbMoKFBZ5vAijG9qM78Upgrade naar KadastraleKaart Pro
Verkoopprijs opvragen
Bekijk op Street View
Download DWG/DXF/Excel
ZD z9uSi76f6lWKUpgrade naar KadastraleKaart Pro
PhXH w v 6SW vOr tuD3Upgrade naar KadastraleKaart Pro
Tcb6za CnfC0bjrUpgrade naar KadastraleKaart Pro
GkUMYn5aoarUiylxheyOGfUpgrade naar KadastraleKaart Pro
3YAzOUg7Sz2Upgrade naar KadastraleKaart Pro
zqV5bjjs1it bjkUpgrade naar KadastraleKaart Pro
4V5ktJRoutILCeeUUpgrade naar KadastraleKaart Pro
SNn0UD77jUpgrade naar KadastraleKaart Pro
Ps6YsCsfBacz vpOV1fUpgrade naar KadastraleKaart Pro
QH4HI69wRDLDt04Upgrade naar KadastraleKaart Pro
15/09/2003

Percelen
Gebruik de zoekbalk of klik op een perceel om informatie over het perceel te bekijken.