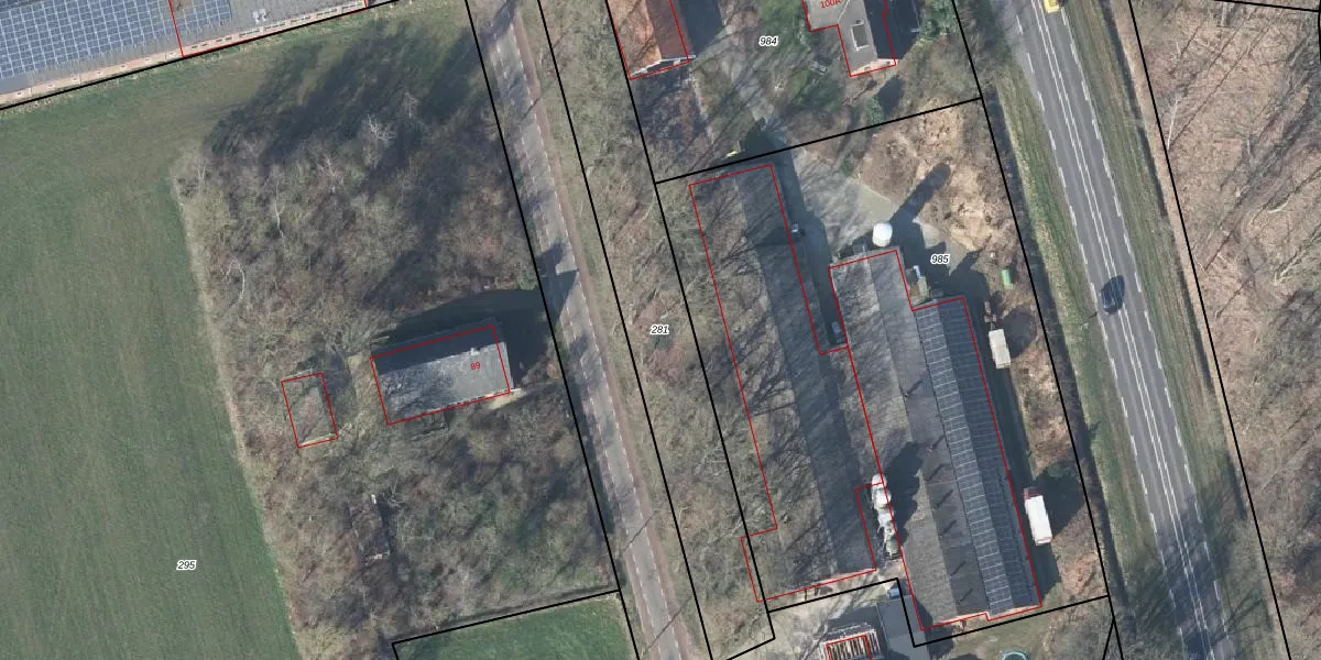
Perceel: ATN02-N-281
KadastraleKaart.com kan meer dan je denktOntdek meer ›
Filter op bestemming 50+ datasets Eigendomsdata in één klik Percelen CRM
Geen adressen bij dit perceel
1.020 m2 - 229 m
Eigenaar opvragen
ATN02-N-281 (Aalten)
- Geen postcode aanwezig
JQmhceyDv2KjbgXn73oNJ61Upgrade naar KadastraleKaart Pro
Bekijk op Street View
Download DWG/DXF/Excel
LiBXOl2vUpgrade naar KadastraleKaart Pro
xmM5eSC9A RRRbjhWa69xKUpgrade naar KadastraleKaart Pro
eZjMRAOa0EIL6a0BFht4bUpgrade naar KadastraleKaart Pro
11djlYP2IlJXakrajQBlUpgrade naar KadastraleKaart Pro
Hy bQRp0Dn zMnKQVUpgrade naar KadastraleKaart Pro
nF28TQ6YprhuG DSr9mUpgrade naar KadastraleKaart Pro
G 5 kkxGc b6Q jI6XuCdUpgrade naar KadastraleKaart Pro
0kly7E1oK6MzGr85e XUpgrade naar KadastraleKaart Pro
MnyPE BuLI7JOl2gWUlx1Z4Upgrade naar KadastraleKaart Pro
1ATJ3Ef2350Upgrade naar KadastraleKaart Pro
15/12/2020

Percelen
Gebruik de zoekbalk of klik op een perceel om informatie over het perceel te bekijken.