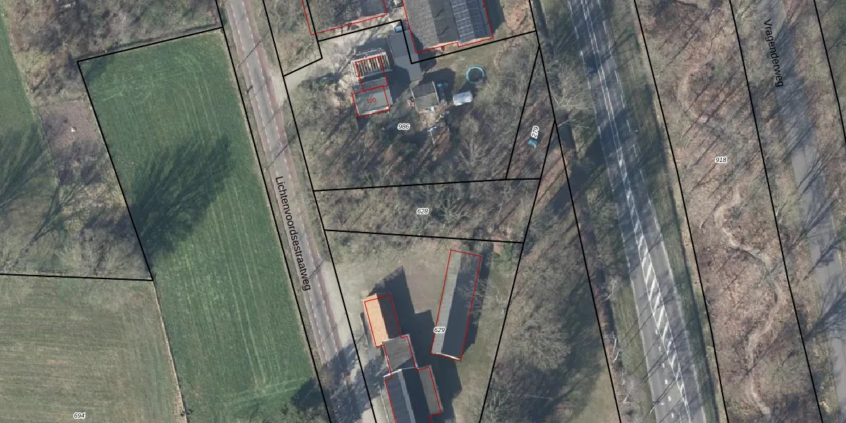
Perceel: ATN02-N-628

Adres bij perceel

Geen adressen bij dit perceel

Perceeloppervlakte & perceelomtrek

610 m2 - 126 m

Eigenaar van het perceel

Eigenaar opvragen

Kadastrale aanduiding

ATN02-N-628 (Aalten)

Postcode in perceel

    Geen postcode aanwezig

Type eigenaar

FEIFGtweorP05OI KWtp7 mUpgrade naar KadastraleKaart Pro

Google Street View

Bekijk op Street View

Download

Download DWG/DXF/Excel

Gerelateerde percelen

SH xnrkqg41nrrklH LifFUpgrade naar KadastraleKaart Pro

Bebouwd/onbebouwd/water/groen

xT8Pl FraH0IpaMUpgrade naar KadastraleKaart Pro
Administratieve eenheden
SU8BhexFKokk GaUpgrade naar KadastraleKaart Pro

Appartementsrechten

pkg6 HglUpgrade naar KadastraleKaart Pro

Vergunningverlenende instanties

UilwFpF1ujV515bH1KklUpgrade naar KadastraleKaart Pro

Bedekking (BGT)

ER iO tKhOU1YJmGVAOfDTBUpgrade naar KadastraleKaart Pro

Publiekrechtelijke beperkingen

JGndV Uu9cPOoqG13lGUpgrade naar KadastraleKaart Pro

Grensnauwkeurigheid

PiDTBvwPreHeU B 2Upgrade naar KadastraleKaart Pro

Coördinaten hoekpunten perceel

A8tca3Pvxn3k 0UAUpgrade naar KadastraleKaart Pro

Hoogteligging

T5Cx8Oks WjXIA5EJMUpgrade naar KadastraleKaart Pro

Laatst gewijzigd

22/01/1998

Kadastrale kaart met maatvoering 59,95
Kadastrale kaart pakket 28,95

Percelen

Gebruik de zoekbalk of klik op een perceel om informatie over het perceel te bekijken.
Locatie
Meten
Lagen
Download