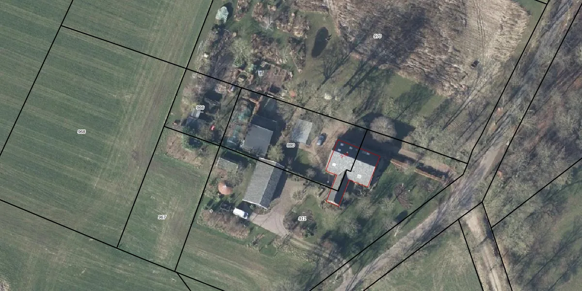
Perceel: ATN02-N-880
1.000 m2 - 135 m
Eigenaar opvragen
ATN02-N-880 (Aalten)
- 7121 LR
a2yn Yo6LXWFswXzUpgrade naar KadastraleKaart Pro
Bekijk op Street View
Download DWG/DXF/Excel
nGddnARI 7kqTQICUpgrade naar KadastraleKaart Pro
nEynnrgnXOaInbG1YcUpgrade naar KadastraleKaart Pro
9sx 2fUL pUpgrade naar KadastraleKaart Pro
Lvn Neyg4LfcJNJyUpgrade naar KadastraleKaart Pro
4LLWQ5I Upgrade naar KadastraleKaart Pro
kqCsOY64rDQBNRUpgrade naar KadastraleKaart Pro
vBjTkIOagwXST16pilfeUpgrade naar KadastraleKaart Pro
nH52xm 8ANDFD4r Upgrade naar KadastraleKaart Pro
SL2BDckTcirTr0RZM 6Upgrade naar KadastraleKaart Pro
2rdVCZuIfxbAUpgrade naar KadastraleKaart Pro
09/11/2012

Percelen
Gebruik de zoekbalk of klik op een perceel om informatie over het perceel te bekijken.