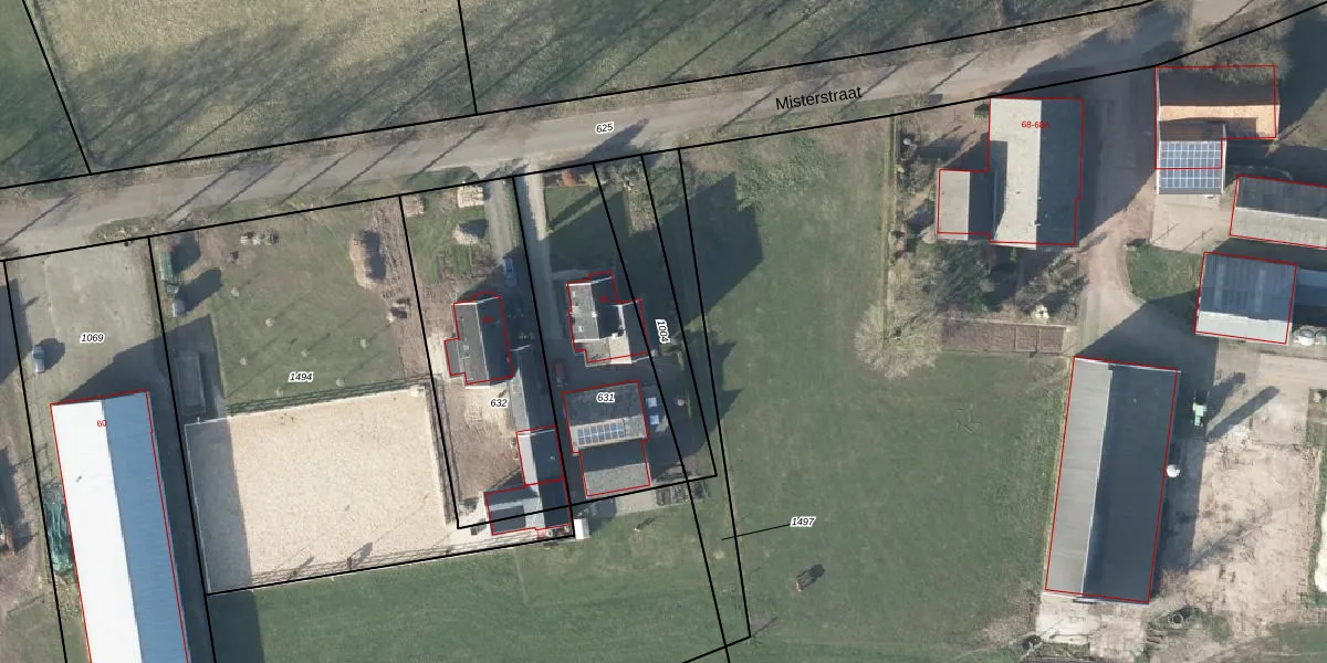
Perceel: ATN02-O-1004
Geen adressen bij dit perceel
285 m2 - 112 m
Eigenaar opvragen
ATN02-O-1004 (Aalten)
- Geen postcode aanwezig
PvuozRgosVugfQZkINaL5IUpgrade naar KadastraleKaart Pro
Bekijk op Street View
Download DWG/DXF/Excel
7OapG AhBMrX2AY8fUpgrade naar KadastraleKaart Pro
vxVv FeWUpgrade naar KadastraleKaart Pro
tAmz rzOUpgrade naar KadastraleKaart Pro
Ue CL1LWsmBYobS08edUpgrade naar KadastraleKaart Pro
v G99V gq50gKUpgrade naar KadastraleKaart Pro
5j8B66AVW t55Upgrade naar KadastraleKaart Pro
4U wEXm2nsYPQmxFUpgrade naar KadastraleKaart Pro
27Hc yfHUpgrade naar KadastraleKaart Pro
g5FG5dAD3qEAo26Upgrade naar KadastraleKaart Pro
odCn5aBJEUpgrade naar KadastraleKaart Pro
22/01/1998

Percelen
Gebruik de zoekbalk of klik op een perceel om informatie over het perceel te bekijken.