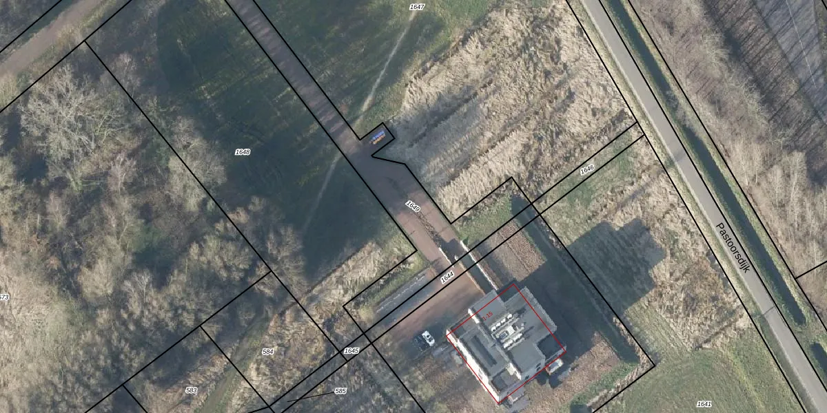
Perceel: ATN02-O-1649
KadastraleKaart.com kan meer dan je denktOntdek meer ›
Filter op bestemming 50+ datasets Eigendomsdata in één klik Percelen CRM
Geen adressen bij dit perceel
1.060 m2 - 312 m
Eigenaar opvragen
ATN02-O-1649 (Aalten)
- Geen postcode aanwezig
ZWlEVsA4 cVHbMQSUpgrade naar KadastraleKaart Pro
Bekijk op Street View
Download DWG/DXF/Excel
vH1iXvjJVPBnA6hlsUpgrade naar KadastraleKaart Pro
YKLt0K4sJ1PUpgrade naar KadastraleKaart Pro
GcxpQWwnh4fC8Goc JUpgrade naar KadastraleKaart Pro
b5LOcs8wkZTVJzRGiBUpgrade naar KadastraleKaart Pro
UmwdS4H9P11N12MjWSUpgrade naar KadastraleKaart Pro
xmo pZeDPUpgrade naar KadastraleKaart Pro
Fo9dho4 69DfKUpgrade naar KadastraleKaart Pro
k tflefF0j WUpgrade naar KadastraleKaart Pro
roXEFbHWGzv7 ZBhybxUpgrade naar KadastraleKaart Pro
diy33C4L0poUpgrade naar KadastraleKaart Pro
04/07/2023

Percelen
Gebruik de zoekbalk of klik op een perceel om informatie over het perceel te bekijken.