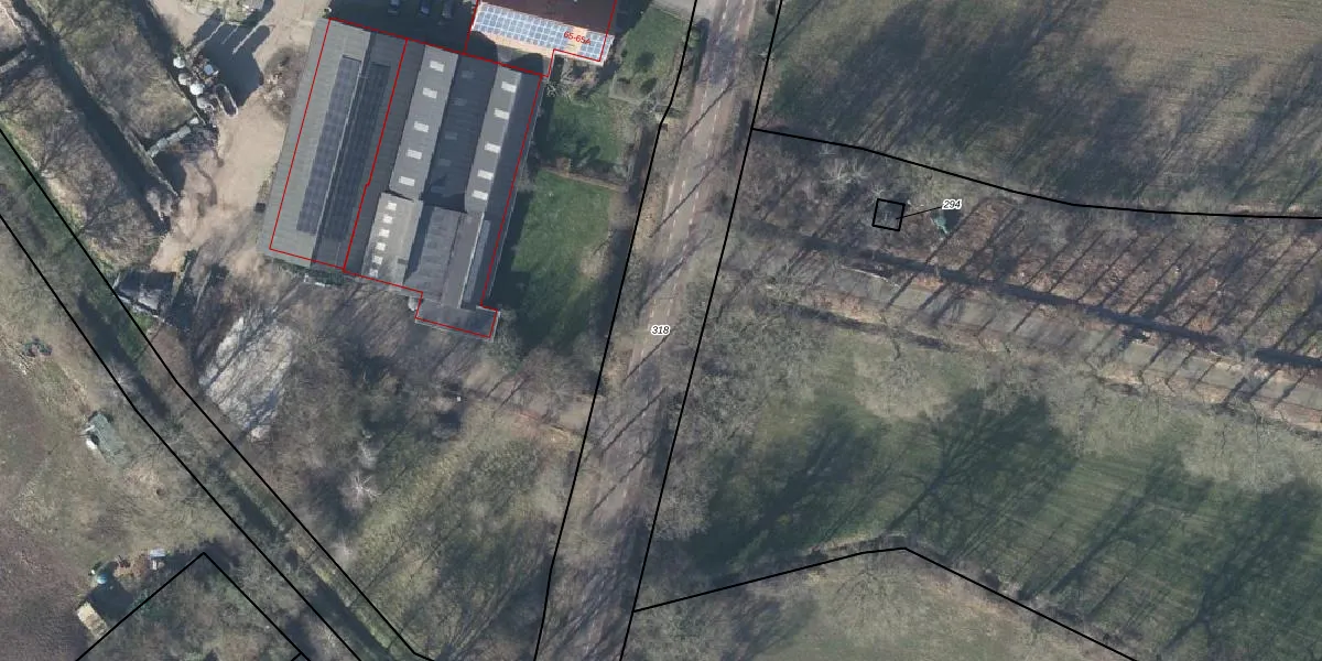
Perceel: ATN02-O-318
KadastraleKaart.com kan meer dan je denktOntdek meer ›
Filter op bestemming 50+ datasets Eigendomsdata in één klik Percelen CRM
Geen adressen bij dit perceel
12.650 m2 - 2.069 m
Eigenaar opvragen
ATN02-O-318 (Aalten)
- Geen postcode aanwezig
PT1vEKWOm 6TZ iNpiXUg J srY06SGUpgrade naar KadastraleKaart Pro
Bekijk op Street View
Download DWG/DXF/Excel
j 1gw SUN5Q7pP w 0mUpgrade naar KadastraleKaart Pro
h4pQGHH5YnnHHZqPYkNLsUpgrade naar KadastraleKaart Pro
3WSnnLZ9Upgrade naar KadastraleKaart Pro
j0ReUSUCEGHQUpgrade naar KadastraleKaart Pro
4aBiOOqyW6b8HVfxsLW Upgrade naar KadastraleKaart Pro
e HtPnGv1 LULaeUpgrade naar KadastraleKaart Pro
t7plHrZ3KSThxjjUpgrade naar KadastraleKaart Pro
WMQ5EMP4F7HjNf4VLUpgrade naar KadastraleKaart Pro
QXLKej9Ye9Wp 1Upgrade naar KadastraleKaart Pro
foL4u7U3UW5 B8HxvcG SlUpgrade naar KadastraleKaart Pro
04/03/2016

Percelen
Gebruik de zoekbalk of klik op een perceel om informatie over het perceel te bekijken.