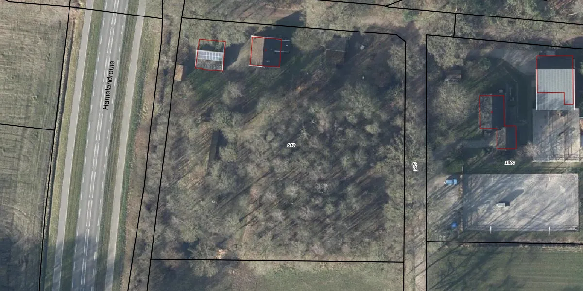
Perceel: ATN02-O-346
6.630 m2 - 324 m
Eigenaar opvragen
ATN02-O-346 (Aalten)
- 7121 MA
BKw8QFNu6iBlsm1QMuUpgrade naar KadastraleKaart Pro
Bekijk op Street View
Download DWG/DXF/Excel
e0cYsH4Kk2iGTttzka2obcUpgrade naar KadastraleKaart Pro
NLgv3 LgSHfdWT4sSUiUpgrade naar KadastraleKaart Pro
3gHdwK9Vr6Ir8G UFKBgUpgrade naar KadastraleKaart Pro
hvipxQo MBA Bj0L2IhUpgrade naar KadastraleKaart Pro
AORLAlWXpi Upgrade naar KadastraleKaart Pro
cCbhlrJl9d02Eg8Upgrade naar KadastraleKaart Pro
vm0OyU38hM W vl fFkUpgrade naar KadastraleKaart Pro
iSJ wKxW k6Wbpi8hNy8z2 Upgrade naar KadastraleKaart Pro
Qb1J2s41CUpgrade naar KadastraleKaart Pro
qQ6KWtw UqpxUI308VUZClUpgrade naar KadastraleKaart Pro
24/09/2003

Percelen
Gebruik de zoekbalk of klik op een perceel om informatie over het perceel te bekijken.