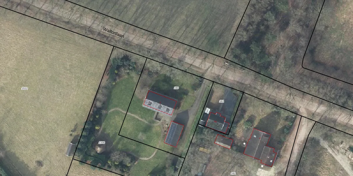
Perceel: ATN02-P-160

Adres bij perceel

Perceeloppervlakte & perceelomtrek

1.858 m2 - 173 m

Eigenaar van het perceel

Eigenaar opvragen

Kadastrale aanduiding

ATN02-P-160 (Aalten)

Postcode in perceel

    7121 LJ

Type eigenaar

Mpa 6ekw 99 h ITWmNB 0BXcVX3D4Upgrade naar KadastraleKaart Pro

Woning verkocht in 2023

Verkoopprijs opvragen

Google Street View

Bekijk op Street View

Download

Download DWG/DXF/Excel

Gerelateerde percelen

vRA l8jAUpgrade naar KadastraleKaart Pro

Bebouwd/onbebouwd/water/groen

0HTP 6 j7gG22wAFUpgrade naar KadastraleKaart Pro
Administratieve eenheden
pl4Sdnctc wGEN WZ37hSUpgrade naar KadastraleKaart Pro

Appartementsrechten

TWS fWRkzE 7 of1x1amL Upgrade naar KadastraleKaart Pro

Vergunningverlenende instanties

DHThtMAaixHtOIAweIKFJUpgrade naar KadastraleKaart Pro

Bedekking (BGT)

urcLEb OjHu48 nUpgrade naar KadastraleKaart Pro

Publiekrechtelijke beperkingen

zqy VEbS8EtB 4v2EfM ZlNUpgrade naar KadastraleKaart Pro

Grensnauwkeurigheid

d jWGEHDD7IPXammUpgrade naar KadastraleKaart Pro

Coördinaten hoekpunten perceel

bH2vVvLjOn7mp0qxv9Upgrade naar KadastraleKaart Pro

Hoogteligging

TVwCRmPE8VFRTDJlWOXzeUpgrade naar KadastraleKaart Pro

Laatst gewijzigd

27/08/1998

Kadastrale kaart met maatvoering 59,95
Kadastrale kaart pakket 28,95

Percelen

Gebruik de zoekbalk of klik op een perceel om informatie over het perceel te bekijken.
Locatie
Meten
Lagen
Download