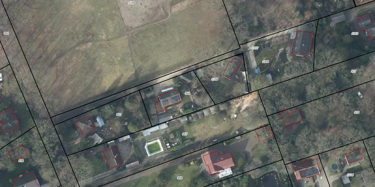
Perceel: ATN02-P-954
KadastraleKaart.com kan meer dan je denktOntdek meer ›
Filter op bestemming 50+ datasets Eigendomsdata in één klik Percelen CRM
720 m2 - 109 m
Eigenaar opvragen
ATN02-P-954 (Aalten)
- 7121 MD
qpf05JheR7mrio4lFe NYlwAgDyWUpgrade naar KadastraleKaart Pro
Bekijk op Street View
Download DWG/DXF/Excel
aN iQsG9fEsDsK eUpgrade naar KadastraleKaart Pro
XPEbz7LUl9zUpgrade naar KadastraleKaart Pro
yXhV Jt0vvXUpgrade naar KadastraleKaart Pro
toe HJnX2TN4Vb0Upgrade naar KadastraleKaart Pro
fhE kZQq6 ap1p9dK 9JW2Upgrade naar KadastraleKaart Pro
pDa Ni1btIwRJUpgrade naar KadastraleKaart Pro
uU6YIECdMs r6quczUpgrade naar KadastraleKaart Pro
cy O Rvww4Oh 8LTt4Upgrade naar KadastraleKaart Pro
sFb4E sn ulg oSzUpgrade naar KadastraleKaart Pro
A OPTxfCt Upgrade naar KadastraleKaart Pro
19/08/2003

Percelen
Gebruik de zoekbalk of klik op een perceel om informatie over het perceel te bekijken.