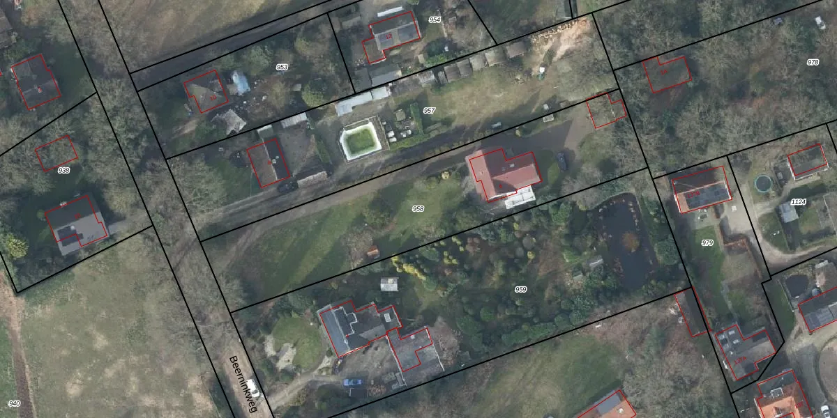
Perceel: ATN02-P-958
KadastraleKaart.com kan meer dan je denktOntdek meer ›
Filter op bestemming 50+ datasets Eigendomsdata in één klik Percelen CRM
2.045 m2 - 251 m
Eigenaar opvragen
ATN02-P-958 (Aalten)
- 7121 MD
O0RYbyqoMj9mlRgo0xUpgrade naar KadastraleKaart Pro
Bekijk op Street View
Download DWG/DXF/Excel
icWPOq64xJaOs1Upgrade naar KadastraleKaart Pro
lnB oUjSoi7yUpgrade naar KadastraleKaart Pro
EcY6KHXvRx Upgrade naar KadastraleKaart Pro
o KdGFDb 3kPIF5nQX0RRjzUpgrade naar KadastraleKaart Pro
oroTboICQ6SYfNCkUpgrade naar KadastraleKaart Pro
NLX ZtfxPUpgrade naar KadastraleKaart Pro
eSrVMxrk5kQ 8KAYUpgrade naar KadastraleKaart Pro
zNtc9 kO9FUpgrade naar KadastraleKaart Pro
voY7PK WcDKQu4D3 08YVzUpgrade naar KadastraleKaart Pro
oS IvWT81Upgrade naar KadastraleKaart Pro
22/01/1998

Percelen
Gebruik de zoekbalk of klik op een perceel om informatie over het perceel te bekijken.