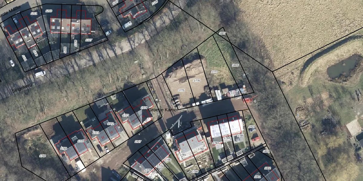
Perceel: ATN02-R-1775
285 m2 - 73 m
Eigenaar opvragen
ATN02-R-1775 (Aalten)
- 7121 GV
Tki4XyxlJ3 p sLAwUpgrade naar KadastraleKaart Pro
Bekijk op Street View
Download DWG/DXF/Excel
eOV lJ4j5Upgrade naar KadastraleKaart Pro
0GBoi6VMS1UPFb3Upgrade naar KadastraleKaart Pro
B5 qS ayiaxlUpgrade naar KadastraleKaart Pro
jfP7WjkdKUpgrade naar KadastraleKaart Pro
7r ewx4Yfdq xarSdhUpgrade naar KadastraleKaart Pro
yFXMNgWtDcUpgrade naar KadastraleKaart Pro
gOBq koLJ9 KPCYUpgrade naar KadastraleKaart Pro
oENsuP1QI0Upgrade naar KadastraleKaart Pro
c GGD8WAUKylUpgrade naar KadastraleKaart Pro
WkeM4wEp5vJa3T5FEsiUpgrade naar KadastraleKaart Pro
15/08/2022

Percelen
Gebruik de zoekbalk of klik op een perceel om informatie over het perceel te bekijken.